開啟輔助訪問
 找回密碼
 立即加入

30P.Maila 巔峰曾達澳式C5 睽違18年巴布亞紐幾內亞命名氣旋

簽到天數: 3438 天

[LV.Master]伴壇終老

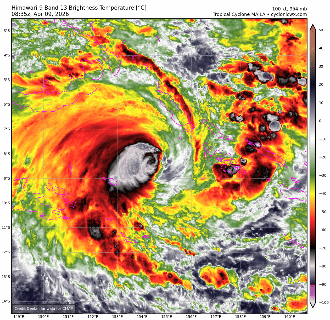
king111807|2026-4-8 21:50 | 顯示全部樓層
BoM降格澳式C4

Severe Tropical Cyclone Maila, in the Solomon Sea, to move towards the Far North Queensland coast early next week.

Area affected
Warning zone
None.

Watch zone
None.

Cancelled zone
None.

At 10:00 pm Australian Eastern Standard Time
At 10:00 pm AEST

Intensity
category 4, sustained winds near the centre of 175 kilometres per hour with wind gusts to 250 kilometres per hour

Location
within 30 kilometres of 8.6 degrees South, 155.8 degrees East, 465 kilometres west northwest of Honiara and 960 kilometres east of Port Moresby

Movement
slow moving

Severe Tropical Cyclone Maila, 37U, is currently located over the Solomon Sea. Steering influences are weak, and Maila is expected to remain slow-moving in the Solomon Sea and well away from the Queensland coast during the next few days.

Over the weekend, Maila is forecast to move into the Coral Sea and track towards the Far North Queensland coast. It may cross the Cape York Peninsula early next week.
771bb636-600d-4c83-9b99-5d938604dd4c.png
C4.png
fnv3_30P_ensemble_2026040806.png
himawari9_rbtop_30P.gif
回復

使用道具 舉報

簽到天數: 3438 天

[LV.Master]伴壇終老

king111807|2026-4-9 03:20 | 顯示全部樓層
JTWC降格C3

WTPS31 PGTW 081500
MSGID/GENADMIN/JOINT TYPHOON WRNCEN PEARL HARBOR HI//
SUBJ/TROPICAL CYCLONE 30P (MAILA) WARNING NR 014//
RMKS/
1. TROPICAL CYCLONE 30P (MAILA) WARNING NR 014   
   02 ACTIVE TROPICAL CYCLONES IN SOUTHPAC
   MAX SUSTAINED WINDS BASED ON ONE-MINUTE AVERAGE
   WIND RADII VALID OVER OPEN WATER ONLY
    ---
   WARNING POSITION:
   081200Z --- NEAR 8.6S 155.7E
     MOVEMENT PAST SIX HOURS - 270 DEGREES AT 02 KTS
     POSITION ACCURATE TO WITHIN 030 NM
     POSITION BASED ON CENTER LOCATED BY SATELLITE
   PRESENT WIND DISTRIBUTION:
   MAX SUSTAINED WINDS - 105 KT, GUSTS 130 KT
   WIND RADII VALID OVER OPEN WATER ONLY
   RADIUS OF 064 KT WINDS - 030 NM NORTHEAST QUADRANT
                            025 NM SOUTHEAST QUADRANT
                            025 NM SOUTHWEST QUADRANT
                            015 NM NORTHWEST QUADRANT
   RADIUS OF 050 KT WINDS - 065 NM NORTHEAST QUADRANT
                            035 NM SOUTHEAST QUADRANT
                            035 NM SOUTHWEST QUADRANT
                            040 NM NORTHWEST QUADRANT
   RADIUS OF 034 KT WINDS - 090 NM NORTHEAST QUADRANT
                            085 NM SOUTHEAST QUADRANT
                            080 NM SOUTHWEST QUADRANT
                            125 NM NORTHWEST QUADRANT
   REPEAT POSIT: 8.6S 155.7E
    ---
   FORECASTS:
   12 HRS, VALID AT:
   090000Z --- 8.5S 155.2E
   MAX SUSTAINED WINDS - 110 KT, GUSTS 135 KT
   WIND RADII VALID OVER OPEN WATER ONLY
   RADIUS OF 064 KT WINDS - 030 NM NORTHEAST QUADRANT
                            030 NM SOUTHEAST QUADRANT
                            020 NM SOUTHWEST QUADRANT
                            030 NM NORTHWEST QUADRANT
   RADIUS OF 050 KT WINDS - 060 NM NORTHEAST QUADRANT
                            040 NM SOUTHEAST QUADRANT
                            040 NM SOUTHWEST QUADRANT
                            040 NM NORTHWEST QUADRANT
   RADIUS OF 034 KT WINDS - 110 NM NORTHEAST QUADRANT
                            110 NM SOUTHEAST QUADRANT
                            110 NM SOUTHWEST QUADRANT
                            140 NM NORTHWEST QUADRANT
   VECTOR TO 24 HR POSIT: 270 DEG/ 03 KTS
    ---
   24 HRS, VALID AT:
   091200Z --- 8.5S 154.5E
   MAX SUSTAINED WINDS - 110 KT, GUSTS 135 KT
   WIND RADII VALID OVER OPEN WATER ONLY
   RADIUS OF 064 KT WINDS - 030 NM NORTHEAST QUADRANT
                            020 NM SOUTHEAST QUADRANT
                            020 NM SOUTHWEST QUADRANT
                            020 NM NORTHWEST QUADRANT
   RADIUS OF 050 KT WINDS - 050 NM NORTHEAST QUADRANT
                            040 NM SOUTHEAST QUADRANT
                            050 NM SOUTHWEST QUADRANT
                            050 NM NORTHWEST QUADRANT
   RADIUS OF 034 KT WINDS - 110 NM NORTHEAST QUADRANT
                            110 NM SOUTHEAST QUADRANT
                            120 NM SOUTHWEST QUADRANT
                            140 NM NORTHWEST QUADRANT
   VECTOR TO 36 HR POSIT: 240 DEG/ 04 KTS
    ---
   36 HRS, VALID AT:
   100000Z --- 8.9S 153.8E
   MAX SUSTAINED WINDS - 100 KT, GUSTS 125 KT
   WIND RADII VALID OVER OPEN WATER ONLY
   RADIUS OF 064 KT WINDS - 030 NM NORTHEAST QUADRANT
                            030 NM SOUTHEAST QUADRANT
                            020 NM SOUTHWEST QUADRANT
                            030 NM NORTHWEST QUADRANT
   RADIUS OF 050 KT WINDS - 050 NM NORTHEAST QUADRANT
                            040 NM SOUTHEAST QUADRANT
                            040 NM SOUTHWEST QUADRANT
                            050 NM NORTHWEST QUADRANT
   RADIUS OF 034 KT WINDS - 100 NM NORTHEAST QUADRANT
                            100 NM SOUTHEAST QUADRANT
                            130 NM SOUTHWEST QUADRANT
                            120 NM NORTHWEST QUADRANT
   VECTOR TO 48 HR POSIT: 240 DEG/ 04 KTS
    ---
   EXTENDED OUTLOOK:
   48 HRS, VALID AT:
   101200Z --- 9.3S 153.1E
   MAX SUSTAINED WINDS - 085 KT, GUSTS 105 KT
   WIND RADII VALID OVER OPEN WATER ONLY
   RADIUS OF 064 KT WINDS - 030 NM NORTHEAST QUADRANT
                            020 NM SOUTHEAST QUADRANT
                            020 NM SOUTHWEST QUADRANT
                            020 NM NORTHWEST QUADRANT
   RADIUS OF 050 KT WINDS - 040 NM NORTHEAST QUADRANT
                            040 NM SOUTHEAST QUADRANT
                            040 NM SOUTHWEST QUADRANT
                            030 NM NORTHWEST QUADRANT
   RADIUS OF 034 KT WINDS - 080 NM NORTHEAST QUADRANT
                            100 NM SOUTHEAST QUADRANT
                            120 NM SOUTHWEST QUADRANT
                            110 NM NORTHWEST QUADRANT
   VECTOR TO 72 HR POSIT: 235 DEG/ 07 KTS
    ---
   72 HRS, VALID AT:
   111200Z --- 10.9S 150.7E
   MAX SUSTAINED WINDS - 065 KT, GUSTS 080 KT
   WIND RADII VALID OVER OPEN WATER ONLY
   RADIUS OF 064 KT WINDS - 010 NM NORTHEAST QUADRANT
                            015 NM SOUTHEAST QUADRANT
                            010 NM SOUTHWEST QUADRANT
                            005 NM NORTHWEST QUADRANT
   RADIUS OF 050 KT WINDS - 030 NM NORTHEAST QUADRANT
                            030 NM SOUTHEAST QUADRANT
                            030 NM SOUTHWEST QUADRANT
                            030 NM NORTHWEST QUADRANT
   RADIUS OF 034 KT WINDS - 060 NM NORTHEAST QUADRANT
                            060 NM SOUTHEAST QUADRANT
                            080 NM SOUTHWEST QUADRANT
                            085 NM NORTHWEST QUADRANT
   VECTOR TO 96 HR POSIT: 250 DEG/ 06 KTS
    ---
   LONG RANGE OUTLOOK:
    ---
   96 HRS, VALID AT:
   121200Z --- 11.8S 148.4E
   MAX SUSTAINED WINDS - 055 KT, GUSTS 070 KT
   WIND RADII VALID OVER OPEN WATER ONLY
   RADIUS OF 050 KT WINDS - 030 NM NORTHEAST QUADRANT
                            030 NM SOUTHEAST QUADRANT
                            030 NM SOUTHWEST QUADRANT
                            020 NM NORTHWEST QUADRANT
   RADIUS OF 034 KT WINDS - 050 NM NORTHEAST QUADRANT
                            060 NM SOUTHEAST QUADRANT
                            080 NM SOUTHWEST QUADRANT
                            070 NM NORTHWEST QUADRANT
   VECTOR TO 120 HR POSIT: 265 DEG/ 09 KTS
    ---
   120 HRS, VALID AT:
   131200Z --- 12.2S 144.8E
   MAX SUSTAINED WINDS - 050 KT, GUSTS 065 KT
   WIND RADII VALID OVER OPEN WATER ONLY
   RADIUS OF 050 KT WINDS - 025 NM NORTHEAST QUADRANT
                            020 NM SOUTHEAST QUADRANT
                            020 NM SOUTHWEST QUADRANT
                            015 NM NORTHWEST QUADRANT
   RADIUS OF 034 KT WINDS - 050 NM NORTHEAST QUADRANT
                            050 NM SOUTHEAST QUADRANT
                            050 NM SOUTHWEST QUADRANT
                            045 NM NORTHWEST QUADRANT
    ---
REMARKS:
081500Z POSITION NEAR 8.6S 155.6E.
08APR26. TROPICAL CYCLONE 30P (MAILA), LOCATED APPROXIMATELY 584
NM SOUTH OF KAPINGAMARANGI, HAS TRACKED WESTWARD AT 02 KNOTS OVER
THE PAST SIX HOURS.
MINIMUM CENTRAL PRESSURE AT 081200Z IS 951 MB. MAXIMUM
SIGNIFICANT WAVE HEIGHT AT 081200Z IS 30 FEET. NEXT WARNINGS AT
090300Z AND 091500Z.
REFER TO TROPICAL CYCLONE 31P (VAIANU) WARNINGS (WTPS32 PGTW)
FOR TWELVE-HOURLY UPDATES.//
NNNN

sh3026.gif
30P_081200sair.jpg ascat_wind_30P_202604081054.png
fnv3_30P_ensemble_2026040812.png
20260408_150633_SH302026_amsr2_gcom-w1_89H_116kts_100p00_res1p0-cr100-artb89hA-b.jpeg
himawari9_rainbow_30P.gif

回復

使用道具 舉報

簽到天數: 3438 天

[LV.Master]伴壇終老

king111807|2026-4-9 21:46 | 顯示全部樓層
BoM降格澳式C3

Severe Tropical Cyclone Maila, in the Solomon Sea, to move south of Papua New Guinea over the weekend and then towards the Far North Queensland coast early next week.

Area affected
Warning zone
None.

Watch zone
None.

Cancelled zone
None.

At 10:00 pm Australian Eastern Standard Time
At 10:00 pm AEST

Intensity
category 3, sustained winds near the centre of 155 kilometres per hour with wind gusts to 220 kilometres per hour

Location
within 30 kilometres of 8.2 degrees South, 154.3 degrees East, 640 kilometres west northwest of Honiara and 800 kilometres east of Port Moresby

Movement
west northwest at 7 kilometres per hour

Severe Tropical Cyclone Maila, 37U, is currently located over the Solomon Sea and is moving slowly west. Maila has started to weaken, and is expected to continue slowly weakening over the coming days. During Friday Maila is expected to start moving to the southwest and it is forecast to impact the southeastern parts of Papua New Guinea before moving into the Coral Sea.

From Sunday, Maila may track west southwest towards the Far North Queensland coast, possibly crossing Cape York Peninsula early next week. Another possible scenario is Maila weakens near or over southeast Papua New Guinea over the weekend and does not cross the Queensland coast as a tropical cyclone.
a59394c8-e348-4b08-9a8c-954c25f3bbaf.png
C3.png
fnv3_30P_ensemble_2026040906.png
himawari9_ir_30P.gif
回復

使用道具 舉報

簽到天數: 3438 天

[LV.Master]伴壇終老

king111807|2026-4-10 00:49 | 顯示全部樓層
JTWC降格C2

WTPS31 PGTW 091500
MSGID/GENADMIN/JOINT TYPHOON WRNCEN PEARL HARBOR HI//
SUBJ/TROPICAL CYCLONE 30P (MAILA) WARNING NR 016//
RMKS/
1. TROPICAL CYCLONE 30P (MAILA) WARNING NR 016   
   02 ACTIVE TROPICAL CYCLONES IN SOUTHPAC
   MAX SUSTAINED WINDS BASED ON ONE-MINUTE AVERAGE
   WIND RADII VALID OVER OPEN WATER ONLY
    ---
   WARNING POSITION:
   091200Z --- NEAR 8.3S 154.4E
     MOVEMENT PAST SIX HOURS - 305 DEGREES AT 04 KTS
     POSITION ACCURATE TO WITHIN 060 NM
     POSITION BASED ON CENTER LOCATED BY SATELLITE
   PRESENT WIND DISTRIBUTION:
   MAX SUSTAINED WINDS - 085 KT, GUSTS 105 KT
   WIND RADII VALID OVER OPEN WATER ONLY
   RADIUS OF 064 KT WINDS - 035 NM NORTHEAST QUADRANT
                            035 NM SOUTHEAST QUADRANT
                            040 NM SOUTHWEST QUADRANT
                            035 NM NORTHWEST QUADRANT
   RADIUS OF 050 KT WINDS - 060 NM NORTHEAST QUADRANT
                            055 NM SOUTHEAST QUADRANT
                            055 NM SOUTHWEST QUADRANT
                            055 NM NORTHWEST QUADRANT
   RADIUS OF 034 KT WINDS - 110 NM NORTHEAST QUADRANT
                            100 NM SOUTHEAST QUADRANT
                            140 NM SOUTHWEST QUADRANT
                            135 NM NORTHWEST QUADRANT
   REPEAT POSIT: 8.3S 154.4E
    ---
   FORECASTS:
   12 HRS, VALID AT:
   100000Z --- 8.2S 153.9E
   MAX SUSTAINED WINDS - 075 KT, GUSTS 090 KT
   WIND RADII VALID OVER OPEN WATER ONLY
   RADIUS OF 064 KT WINDS - 030 NM NORTHEAST QUADRANT
                            030 NM SOUTHEAST QUADRANT
                            035 NM SOUTHWEST QUADRANT
                            025 NM NORTHWEST QUADRANT
   RADIUS OF 050 KT WINDS - 060 NM NORTHEAST QUADRANT
                            050 NM SOUTHEAST QUADRANT
                            050 NM SOUTHWEST QUADRANT
                            050 NM NORTHWEST QUADRANT
   RADIUS OF 034 KT WINDS - 110 NM NORTHEAST QUADRANT
                            100 NM SOUTHEAST QUADRANT
                            130 NM SOUTHWEST QUADRANT
                            110 NM NORTHWEST QUADRANT
   VECTOR TO 24 HR POSIT: 245 DEG/ 02 KTS
    ---
   24 HRS, VALID AT:
   101200Z --- 8.4S 153.5E
   MAX SUSTAINED WINDS - 060 KT, GUSTS 075 KT
   WIND RADII VALID OVER OPEN WATER ONLY
   RADIUS OF 050 KT WINDS - 040 NM NORTHEAST QUADRANT
                            040 NM SOUTHEAST QUADRANT
                            040 NM SOUTHWEST QUADRANT
                            040 NM NORTHWEST QUADRANT
   RADIUS OF 034 KT WINDS - 090 NM NORTHEAST QUADRANT
                            090 NM SOUTHEAST QUADRANT
                            110 NM SOUTHWEST QUADRANT
                            080 NM NORTHWEST QUADRANT
   VECTOR TO 36 HR POSIT: 240 DEG/ 03 KTS
    ---
   36 HRS, VALID AT:
   110000Z --- 8.7S 153.0E
   MAX SUSTAINED WINDS - 050 KT, GUSTS 065 KT
   WIND RADII VALID OVER OPEN WATER ONLY
   RADIUS OF 050 KT WINDS - 000 NM NORTHEAST QUADRANT
                            030 NM SOUTHEAST QUADRANT
                            030 NM SOUTHWEST QUADRANT
                            000 NM NORTHWEST QUADRANT
   RADIUS OF 034 KT WINDS - 080 NM NORTHEAST QUADRANT
                            080 NM SOUTHEAST QUADRANT
                            100 NM SOUTHWEST QUADRANT
                            060 NM NORTHWEST QUADRANT
   VECTOR TO 48 HR POSIT: 230 DEG/ 04 KTS
    ---
   EXTENDED OUTLOOK:
   48 HRS, VALID AT:
   111200Z --- 9.2S 152.4E
   MAX SUSTAINED WINDS - 040 KT, GUSTS 050 KT
   WIND RADII VALID OVER OPEN WATER ONLY
   RADIUS OF 034 KT WINDS - 060 NM NORTHEAST QUADRANT
                            070 NM SOUTHEAST QUADRANT
                            070 NM SOUTHWEST QUADRANT
                            000 NM NORTHWEST QUADRANT
   VECTOR TO 72 HR POSIT: 220 DEG/ 02 KTS
    ---
   72 HRS, VALID AT:
   121200Z --- 9.8S 151.9E
   MAX SUSTAINED WINDS - 040 KT, GUSTS 050 KT
   WIND RADII VALID OVER OPEN WATER ONLY
   RADIUS OF 034 KT WINDS - 060 NM NORTHEAST QUADRANT
                            080 NM SOUTHEAST QUADRANT
                            080 NM SOUTHWEST QUADRANT
                            000 NM NORTHWEST QUADRANT
   VECTOR TO 96 HR POSIT: 230 DEG/ 02 KTS
    ---
   LONG RANGE OUTLOOK:
    ---
   96 HRS, VALID AT:
   131200Z --- 10.4S 151.2E
   MAX SUSTAINED WINDS - 035 KT, GUSTS 045 KT
   WIND RADII VALID OVER OPEN WATER ONLY
   DISSIPATING AS A SIGNIFICANT TROPICAL CYCLONE OVER WATER
   RADIUS OF 034 KT WINDS - 000 NM NORTHEAST QUADRANT
                            080 NM SOUTHEAST QUADRANT
                            070 NM SOUTHWEST QUADRANT
                            000 NM NORTHWEST QUADRANT
   VECTOR TO 120 HR POSIT: 245 DEG/ 02 KTS
    ---
   120 HRS, VALID AT:
   141200Z --- 10.8S 150.4E
   MAX SUSTAINED WINDS - 035 KT, GUSTS 045 KT
   WIND RADII VALID OVER OPEN WATER ONLY
   DISSIPATING AS A SIGNIFICANT TROPICAL CYCLONE OVER WATER
   RADIUS OF 034 KT WINDS - 000 NM NORTHEAST QUADRANT
                            080 NM SOUTHEAST QUADRANT
                            080 NM SOUTHWEST QUADRANT
                            000 NM NORTHWEST QUADRANT
    ---
REMARKS:
091500Z POSITION NEAR 8.3S 154.3E.
09APR26. TROPICAL CYCLONE 30P (MAILA), LOCATED APPROXIMATELY 721
NM NORTHEAST OF CAIRNS, AUSTRALIA, HAS TRACKED NORTHWESTWARD AT
04 KNOTS OVER THE PAST SIX HOURS. MINIMUM CENTRAL PRESSURE AT 091200Z
IS 967 MB. MAXIMUM SIGNIFICANT WAVE HEIGHT AT 091200Z IS 30 FEET. NEXT
WARNINGS AT 100300Z AND 101500Z. REFER TO TROPICAL CYCLONE 31P
(VAIANU) FINAL WARNING (WTPS32 PGTW).//
NNNN
sh3026.gif
30P_091200sair.jpg
MAILA_tc_ec_ens.png
himawari9_rainbow_30P.gif
回復

使用道具 舉報

簽到天數: 3438 天

[LV.Master]伴壇終老

king111807|2026-4-11 10:54 | 顯示全部樓層
BoM降格澳式C2

IDQ20065
Australian Bureau of Meteorology
Tropical Cyclone Warning Centre

TROPICAL CYCLONE INFORMATION BULLETIN
Issued at 4:38 pm EST on Friday 10 April 2026

At 4 pm AEST Friday, Tropical Cyclone Maila (Category 2) with central pressure
975 hPa was located near latitude 8.4 south longitude 154.4 east, which is
about 620 km west of Honiara and 810 km east of Port Moresby.

The cyclone is slow moving.

Tropical Cyclone Maila remains slow moving in the Solomon Sea, and has weakened
to category 2. Maila is expected to continue to slowly weaken over the coming
days as it moves southwest, impacting the southeastern parts of Papua New
Guinea before moving into the Coral Sea.

From Sunday, Maila may track west southwest towards the Far North Queensland
coast, possibly crossing Cape York Peninsula next week. Another possible
scenario is for Maila to weaken in the Solomon Sea or over southeast Papua New
Guinea over the weekend and not cross the Queensland coast as a tropical
cyclone.

The next Information Bulletin will be issued by 11:00 pm AEST Friday 10 April.
C2.png
回復

使用道具 舉報

簽到天數: 3438 天

[LV.Master]伴壇終老

king111807|2026-4-11 10:57 | 顯示全部樓層
JTWC降格C1

WTPS31 PGTW 100300
MSGID/GENADMIN/JOINT TYPHOON WRNCEN PEARL HARBOR HI//
SUBJ/TROPICAL CYCLONE 30P (MAILA) WARNING NR 017//
RMKS/
1. TROPICAL CYCLONE 30P (MAILA) WARNING NR 017   
   02 ACTIVE TROPICAL CYCLONES IN SOUTHPAC
   MAX SUSTAINED WINDS BASED ON ONE-MINUTE AVERAGE
   WIND RADII VALID OVER OPEN WATER ONLY
    ---
   WARNING POSITION:
   100000Z --- NEAR 8.1S 154.6E
     MOVEMENT PAST SIX HOURS - 065 DEGREES AT 02 KTS
     POSITION ACCURATE TO WITHIN 040 NM
     POSITION BASED ON CENTER LOCATED BY SATELLITE
   PRESENT WIND DISTRIBUTION:
   MAX SUSTAINED WINDS - 070 KT, GUSTS 085 KT
   WIND RADII VALID OVER OPEN WATER ONLY
   RADIUS OF 064 KT WINDS - 040 NM NORTHEAST QUADRANT
                            040 NM SOUTHEAST QUADRANT
                            040 NM SOUTHWEST QUADRANT
                            040 NM NORTHWEST QUADRANT
   RADIUS OF 050 KT WINDS - 060 NM NORTHEAST QUADRANT
                            055 NM SOUTHEAST QUADRANT
                            055 NM SOUTHWEST QUADRANT
                            060 NM NORTHWEST QUADRANT
   RADIUS OF 034 KT WINDS - 100 NM NORTHEAST QUADRANT
                            100 NM SOUTHEAST QUADRANT
                            160 NM SOUTHWEST QUADRANT
                            130 NM NORTHWEST QUADRANT
   REPEAT POSIT: 8.1S 154.6E
    ---
   FORECASTS:
   12 HRS, VALID AT:
   101200Z --- 8.4S 154.2E
   MAX SUSTAINED WINDS - 060 KT, GUSTS 075 KT
   WIND RADII VALID OVER OPEN WATER ONLY
   RADIUS OF 050 KT WINDS - 040 NM NORTHEAST QUADRANT
                            040 NM SOUTHEAST QUADRANT
                            040 NM SOUTHWEST QUADRANT
                            040 NM NORTHWEST QUADRANT
   RADIUS OF 034 KT WINDS - 080 NM NORTHEAST QUADRANT
                            070 NM SOUTHEAST QUADRANT
                            140 NM SOUTHWEST QUADRANT
                            100 NM NORTHWEST QUADRANT
   VECTOR TO 24 HR POSIT: 235 DEG/ 02 KTS
    ---
   24 HRS, VALID AT:
   110000Z --- 8.6S 153.9E
   MAX SUSTAINED WINDS - 050 KT, GUSTS 065 KT
   WIND RADII VALID OVER OPEN WATER ONLY
   RADIUS OF 050 KT WINDS - 030 NM NORTHEAST QUADRANT
                            030 NM SOUTHEAST QUADRANT
                            030 NM SOUTHWEST QUADRANT
                            030 NM NORTHWEST QUADRANT
   RADIUS OF 034 KT WINDS - 050 NM NORTHEAST QUADRANT
                            050 NM SOUTHEAST QUADRANT
                            100 NM SOUTHWEST QUADRANT
                            070 NM NORTHWEST QUADRANT
   VECTOR TO 36 HR POSIT: 215 DEG/ 02 KTS
    ---
   36 HRS, VALID AT:
   111200Z --- 8.9S 153.7E
   MAX SUSTAINED WINDS - 040 KT, GUSTS 050 KT
   WIND RADII VALID OVER OPEN WATER ONLY
   RADIUS OF 034 KT WINDS - 030 NM NORTHEAST QUADRANT
                            030 NM SOUTHEAST QUADRANT
                            080 NM SOUTHWEST QUADRANT
                            040 NM NORTHWEST QUADRANT
   VECTOR TO 48 HR POSIT: 245 DEG/ 03 KTS
    ---
   EXTENDED OUTLOOK:
   48 HRS, VALID AT:
   120000Z --- 9.2S 153.1E
   MAX SUSTAINED WINDS - 035 KT, GUSTS 045 KT
   WIND RADII VALID OVER OPEN WATER ONLY
   RADIUS OF 034 KT WINDS - 030 NM NORTHEAST QUADRANT
                            030 NM SOUTHEAST QUADRANT
                            080 NM SOUTHWEST QUADRANT
                            020 NM NORTHWEST QUADRANT
   VECTOR TO 72 HR POSIT: 250 DEG/ 05 KTS
    ---
   72 HRS, VALID AT:
   130000Z --- 9.8S 151.2E
   MAX SUSTAINED WINDS - 035 KT, GUSTS 045 KT
   WIND RADII VALID OVER OPEN WATER ONLY
   DISSIPATING AS A SIGNIFICANT TROPICAL CYCLONE OVER WATER
   RADIUS OF 034 KT WINDS - 000 NM NORTHEAST QUADRANT
                            030 NM SOUTHEAST QUADRANT
                            060 NM SOUTHWEST QUADRANT
                            000 NM NORTHWEST QUADRANT
   VECTOR TO 96 HR POSIT: 250 DEG/ 05 KTS
    ---
   LONG RANGE OUTLOOK:
    ---
   96 HRS, VALID AT:
   140000Z --- 10.4S 149.4E
   MAX SUSTAINED WINDS - 030 KT, GUSTS 040 KT
   WIND RADII VALID OVER OPEN WATER ONLY
   DISSIPATED AS A SIGNIFICANT TROPICAL CYCLONE OVER WATER
    ---
REMARKS:
100300Z POSITION NEAR 8.2S 154.5E.
10APR26. TROPICAL CYCLONE 30P (MAILA), LOCATED APPROXIMATELY 737
NM NORTHEAST OF CAIRNS, AUSTRALIA, HAS TRACKED EAST-NORTHEASTWARD
AT 02 KNOTS OVER THE PAST SIX HOURS.
MINIMUM CENTRAL PRESSURE AT 100000Z IS 975 MB. MAXIMUM
SIGNIFICANT WAVE HEIGHT AT 100000Z IS 28 FEET. NEXT WARNINGS AT
101500Z AND 110300Z.
REFER TO TROPICAL CYCLONE 31P (VAIANU) FINAL WARNING (WTPS32 PGTW).//
NNNN
C1.gif
C1.jpg
回復

使用道具 舉報

簽到天數: 3438 天

[LV.Master]伴壇終老

king111807|2026-4-11 11:00 | 顯示全部樓層
BoM降格澳式C1

Tropical Cyclone Maila is weakening in the Solomon Sea.

Area affected
Warning zone
None.

Watch zone
None.

Cancelled zone
None.

At 10:00 am Australian Eastern Standard Time
At 10:00 am AEST

Intensity
category 1, sustained winds near the centre of 65 kilometres per hour with wind gusts to 95 kilometres per hour

Location
within 35 kilometres of 8.0 degrees South, 154.5 degrees East, 620 kilometres west northwest of Honiara and 830 kilometres east northeast of Port Moresby

Movement
slow moving

Tropical Cyclone Maila is expected to remain slow moving in the Solomon Sea during the rest of today. On Sunday, Maila is forecast to begin tracking west-southwest, possibly affecting southeastern Papua New Guinea before entering the Coral Sea early next week.

Maila is forecast to weaken in the Solomon Sea, near southeastern Papua New Guinea during the rest of the weekend, and there is only a Low chance that it emerges into the Coral Sea as a tropical cyclone.

Maila may then track through the Coral Sea towards the Far North Queensland coast. However, it is likely to be below tropical cyclone intensity well before reaching the coast.
62a290a0-480f-4c47-83b3-b27017a5c0e8.png
C1.png
rbtop-animated.gif
回復

使用道具 舉報

簽到天數: 3438 天

[LV.Master]伴壇終老

king111807|2026-4-11 11:02 | 顯示全部樓層
JTWC降格TS

WTPS31 PGTW 101500
MSGID/GENADMIN/JOINT TYPHOON WRNCEN PEARL HARBOR HI//
SUBJ/TROPICAL CYCLONE 30P (MAILA) WARNING NR 018//
RMKS/
1. TROPICAL CYCLONE 30P (MAILA) WARNING NR 018   
   01 ACTIVE TROPICAL CYCLONE IN SOUTHPAC
   MAX SUSTAINED WINDS BASED ON ONE-MINUTE AVERAGE
   WIND RADII VALID OVER OPEN WATER ONLY
    ---
   WARNING POSITION:
   101200Z --- NEAR 8.4S 154.3E
     MOVEMENT PAST SIX HOURS - 245 DEGREES AT 02 KTS
     POSITION ACCURATE TO WITHIN 060 NM
     POSITION BASED ON CENTER LOCATED BY SATELLITE
   PRESENT WIND DISTRIBUTION:
   MAX SUSTAINED WINDS - 045 KT, GUSTS 055 KT
   WIND RADII VALID OVER OPEN WATER ONLY
   RADIUS OF 034 KT WINDS - 070 NM NORTHEAST QUADRANT
                            060 NM SOUTHEAST QUADRANT
                            075 NM SOUTHWEST QUADRANT
                            110 NM NORTHWEST QUADRANT
   REPEAT POSIT: 8.4S 154.3E
    ---
   FORECASTS:
   12 HRS, VALID AT:
   110000Z --- 8.6S 154.0E
   MAX SUSTAINED WINDS - 040 KT, GUSTS 050 KT
   WIND RADII VALID OVER OPEN WATER ONLY
   RADIUS OF 034 KT WINDS - 060 NM NORTHEAST QUADRANT
                            050 NM SOUTHEAST QUADRANT
                            140 NM SOUTHWEST QUADRANT
                            080 NM NORTHWEST QUADRANT
   VECTOR TO 24 HR POSIT: 220 DEG/ 03 KTS
    ---
   24 HRS, VALID AT:
   111200Z --- 9.1S 153.6E
   MAX SUSTAINED WINDS - 035 KT, GUSTS 045 KT
   WIND RADII VALID OVER OPEN WATER ONLY
   DISSIPATING AS A SIGNIFICANT TROPICAL CYCLONE OVER WATER
   RADIUS OF 034 KT WINDS - 060 NM NORTHEAST QUADRANT
                            040 NM SOUTHEAST QUADRANT
                            170 NM SOUTHWEST QUADRANT
                            080 NM NORTHWEST QUADRANT
   VECTOR TO 36 HR POSIT: 245 DEG/ 02 KTS
    ---
   36 HRS, VALID AT:
   120000Z --- 9.3S 153.2E
   MAX SUSTAINED WINDS - 035 KT, GUSTS 045 KT
   WIND RADII VALID OVER OPEN WATER ONLY
   DISSIPATING AS A SIGNIFICANT TROPICAL CYCLONE OVER WATER
   RADIUS OF 034 KT WINDS - 040 NM NORTHEAST QUADRANT
                            020 NM SOUTHEAST QUADRANT
                            140 NM SOUTHWEST QUADRANT
                            070 NM NORTHWEST QUADRANT
   VECTOR TO 48 HR POSIT: 250 DEG/ 05 KTS
    ---
   EXTENDED OUTLOOK:
   48 HRS, VALID AT:
   121200Z --- 9.6S 152.3E
   MAX SUSTAINED WINDS - 030 KT, GUSTS 040 KT
   WIND RADII VALID OVER OPEN WATER ONLY
   DISSIPATED AS A SIGNIFICANT TROPICAL CYCLONE OVER WATER
    ---
REMARKS:
101500Z POSITION NEAR 8.5S 154.2E.
10APR26. TROPICAL CYCLONE 30P (MAILA), LOCATED APPROXIMATELY 712
NM NORTHEAST OF CAIRNS, AUSTRALIA, HAS TRACKED WEST-SOUTHWESTWARD
AT 02 KNOTS OVER THE PAST SIX HOURS. MINIMUM CENTRAL PRESSURE AT
101200Z IS 992 MB. MAXIMUM SIGNIFICANT WAVE HEIGHT AT 101200Z IS 19
FEET. NEXT WARNINGS AT 110300Z AND 111500Z.
//
NNNN
sh3026.gif
30P_101200sair.jpg
vis-animated.gif
回復

使用道具 舉報

快速回覆
您需要登錄後才可以回帖 登錄 | 立即加入

本版積分規則

本平台僅供學術討論之用,預報應以氣象局為準

威普網站虛擬主機贊助公司

臺灣第一個天氣類型社群平台 即時天氣資訊、精準颱風動態

線上客服
FB傳送訊息
廣告行銷
精準行銷 物超所值
官方粉專
發佈 快速回復 返回頂部 返回列表