開啟輔助訪問
 找回密碼
 立即加入

2604 辛樂克 猛爆增強 西太首強颱 1991年以來最強四月颱

簽到天數: 3437 天

[LV.Master]伴壇終老

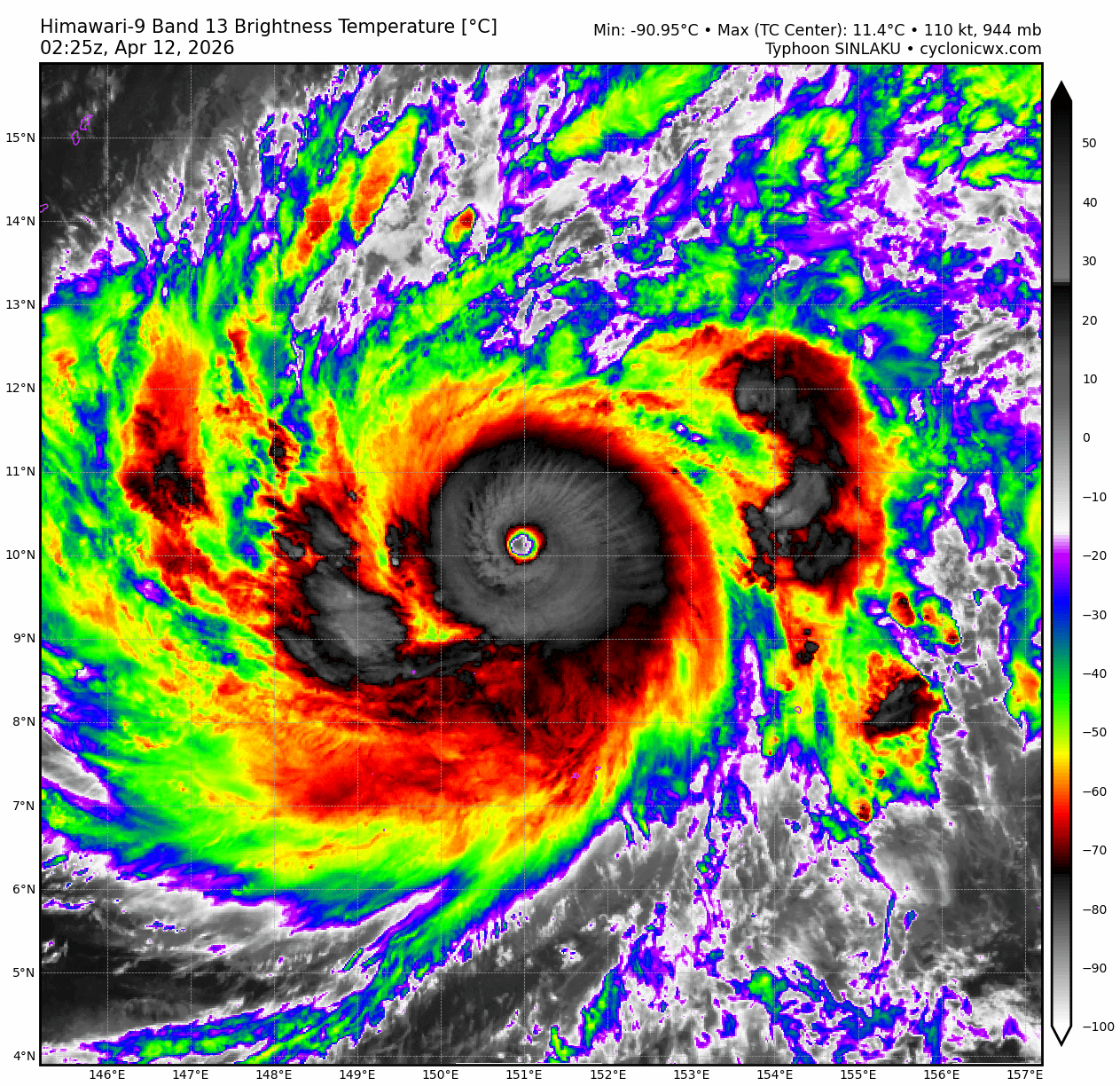
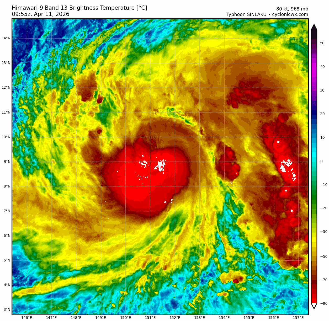
king111807|2026-4-11 23:16 | 顯示全部樓層
JTWC升格C2

WTPN31 PGTW 111500
MSGID/GENADMIN/JOINT TYPHOON WRNCEN PEARL HARBOR HI//
SUBJ/TYPHOON 04W (SINLAKU) WARNING NR 011//
RMKS/
1. TYPHOON 04W (SINLAKU) WARNING NR 011   
   01 ACTIVE TROPICAL CYCLONE IN NORTHWESTPAC
   MAX SUSTAINED WINDS BASED ON ONE-MINUTE AVERAGE
   WIND RADII VALID OVER OPEN WATER ONLY
    ---
   WARNING POSITION:
   111200Z --- NEAR 9.0N 151.1E
     MOVEMENT PAST SIX HOURS - 305 DEGREES AT 04 KTS
     POSITION ACCURATE TO WITHIN 030 NM
     POSITION BASED ON CENTER LOCATED BY A COMBINATION OF
     SATELLITE AND EXTRAPOLATION
   PRESENT WIND DISTRIBUTION:
   MAX SUSTAINED WINDS - 085 KT, GUSTS 105 KT
   WIND RADII VALID OVER OPEN WATER ONLY
   RADIUS OF 064 KT WINDS - 045 NM NORTHEAST QUADRANT
                            040 NM SOUTHEAST QUADRANT
                            040 NM SOUTHWEST QUADRANT
                            030 NM NORTHWEST QUADRANT
   RADIUS OF 050 KT WINDS - 085 NM NORTHEAST QUADRANT
                            075 NM SOUTHEAST QUADRANT
                            080 NM SOUTHWEST QUADRANT
                            070 NM NORTHWEST QUADRANT
   RADIUS OF 034 KT WINDS - 215 NM NORTHEAST QUADRANT
                            145 NM SOUTHEAST QUADRANT
                            145 NM SOUTHWEST QUADRANT
                            130 NM NORTHWEST QUADRANT
   REPEAT POSIT: 9.0N 151.1E
    ---
   FORECASTS:
   12 HRS, VALID AT:
   120000Z --- 9.7N 150.5E
   MAX SUSTAINED WINDS - 095 KT, GUSTS 115 KT
   WIND RADII VALID OVER OPEN WATER ONLY
   RADIUS OF 064 KT WINDS - 040 NM NORTHEAST QUADRANT
                            040 NM SOUTHEAST QUADRANT
                            040 NM SOUTHWEST QUADRANT
                            040 NM NORTHWEST QUADRANT
   RADIUS OF 050 KT WINDS - 080 NM NORTHEAST QUADRANT
                            060 NM SOUTHEAST QUADRANT
                            060 NM SOUTHWEST QUADRANT
                            060 NM NORTHWEST QUADRANT
   RADIUS OF 034 KT WINDS - 210 NM NORTHEAST QUADRANT
                            160 NM SOUTHEAST QUADRANT
                            140 NM SOUTHWEST QUADRANT
                            160 NM NORTHWEST QUADRANT
   VECTOR TO 24 HR POSIT: 320 DEG/ 07 KTS
    ---
   24 HRS, VALID AT:
   121200Z --- 10.8N 149.5E
   MAX SUSTAINED WINDS - 110 KT, GUSTS 135 KT
   WIND RADII VALID OVER OPEN WATER ONLY
   RADIUS OF 064 KT WINDS - 050 NM NORTHEAST QUADRANT
                            040 NM SOUTHEAST QUADRANT
                            040 NM SOUTHWEST QUADRANT
                            050 NM NORTHWEST QUADRANT
   RADIUS OF 050 KT WINDS - 090 NM NORTHEAST QUADRANT
                            070 NM SOUTHEAST QUADRANT
                            060 NM SOUTHWEST QUADRANT
                            070 NM NORTHWEST QUADRANT
   RADIUS OF 034 KT WINDS - 220 NM NORTHEAST QUADRANT
                            170 NM SOUTHEAST QUADRANT
                            140 NM SOUTHWEST QUADRANT
                            170 NM NORTHWEST QUADRANT
   VECTOR TO 36 HR POSIT: 305 DEG/ 08 KTS
    ---
   36 HRS, VALID AT:
   130000Z --- 11.8N 148.1E
   MAX SUSTAINED WINDS - 120 KT, GUSTS 145 KT
   WIND RADII VALID OVER OPEN WATER ONLY
   RADIUS OF 064 KT WINDS - 050 NM NORTHEAST QUADRANT
                            040 NM SOUTHEAST QUADRANT
                            040 NM SOUTHWEST QUADRANT
                            040 NM NORTHWEST QUADRANT
   RADIUS OF 050 KT WINDS - 100 NM NORTHEAST QUADRANT
                            070 NM SOUTHEAST QUADRANT
                            060 NM SOUTHWEST QUADRANT
                            080 NM NORTHWEST QUADRANT
   RADIUS OF 034 KT WINDS - 220 NM NORTHEAST QUADRANT
                            180 NM SOUTHEAST QUADRANT
                            150 NM SOUTHWEST QUADRANT
                            180 NM NORTHWEST QUADRANT
   VECTOR TO 48 HR POSIT: 305 DEG/ 09 KTS
    ---
   EXTENDED OUTLOOK:
   48 HRS, VALID AT:
   131200Z --- 12.9N 146.6E
   MAX SUSTAINED WINDS - 125 KT, GUSTS 150 KT
   WIND RADII VALID OVER OPEN WATER ONLY
   RADIUS OF 064 KT WINDS - 050 NM NORTHEAST QUADRANT
                            040 NM SOUTHEAST QUADRANT
                            050 NM SOUTHWEST QUADRANT
                            050 NM NORTHWEST QUADRANT
   RADIUS OF 050 KT WINDS - 110 NM NORTHEAST QUADRANT
                            070 NM SOUTHEAST QUADRANT
                            060 NM SOUTHWEST QUADRANT
                            090 NM NORTHWEST QUADRANT
   RADIUS OF 034 KT WINDS - 220 NM NORTHEAST QUADRANT
                            190 NM SOUTHEAST QUADRANT
                            150 NM SOUTHWEST QUADRANT
                            180 NM NORTHWEST QUADRANT
   VECTOR TO 72 HR POSIT: 305 DEG/ 07 KTS
    ---
   72 HRS, VALID AT:
   141200Z --- 14.5N 144.2E
   MAX SUSTAINED WINDS - 115 KT, GUSTS 140 KT
   WIND RADII VALID OVER OPEN WATER ONLY
   RADIUS OF 064 KT WINDS - 050 NM NORTHEAST QUADRANT
                            050 NM SOUTHEAST QUADRANT
                            050 NM SOUTHWEST QUADRANT
                            050 NM NORTHWEST QUADRANT
   RADIUS OF 050 KT WINDS - 110 NM NORTHEAST QUADRANT
                            080 NM SOUTHEAST QUADRANT
                            080 NM SOUTHWEST QUADRANT
                            090 NM NORTHWEST QUADRANT
   RADIUS OF 034 KT WINDS - 220 NM NORTHEAST QUADRANT
                            200 NM SOUTHEAST QUADRANT
                            160 NM SOUTHWEST QUADRANT
                            180 NM NORTHWEST QUADRANT
   VECTOR TO 96 HR POSIT: 325 DEG/ 06 KTS
    ---
   LONG RANGE OUTLOOK:
    ---
   96 HRS, VALID AT:
   151200Z --- 16.3N 142.8E
   MAX SUSTAINED WINDS - 100 KT, GUSTS 125 KT
   WIND RADII VALID OVER OPEN WATER ONLY
   RADIUS OF 064 KT WINDS - 070 NM NORTHEAST QUADRANT
                            060 NM SOUTHEAST QUADRANT
                            060 NM SOUTHWEST QUADRANT
                            060 NM NORTHWEST QUADRANT
   RADIUS OF 050 KT WINDS - 110 NM NORTHEAST QUADRANT
                            090 NM SOUTHEAST QUADRANT
                            080 NM SOUTHWEST QUADRANT
                            090 NM NORTHWEST QUADRANT
   RADIUS OF 034 KT WINDS - 210 NM NORTHEAST QUADRANT
                            200 NM SOUTHEAST QUADRANT
                            160 NM SOUTHWEST QUADRANT
                            170 NM NORTHWEST QUADRANT
   VECTOR TO 120 HR POSIT: 345 DEG/ 06 KTS
    ---
   120 HRS, VALID AT:
   161200Z --- 18.5N 142.1E
   MAX SUSTAINED WINDS - 085 KT, GUSTS 105 KT
   WIND RADII VALID OVER OPEN WATER ONLY
   RADIUS OF 064 KT WINDS - 080 NM NORTHEAST QUADRANT
                            060 NM SOUTHEAST QUADRANT
                            060 NM SOUTHWEST QUADRANT
                            070 NM NORTHWEST QUADRANT
   RADIUS OF 050 KT WINDS - 110 NM NORTHEAST QUADRANT
                            100 NM SOUTHEAST QUADRANT
                            080 NM SOUTHWEST QUADRANT
                            100 NM NORTHWEST QUADRANT
   RADIUS OF 034 KT WINDS - 210 NM NORTHEAST QUADRANT
                            210 NM SOUTHEAST QUADRANT
                            160 NM SOUTHWEST QUADRANT
                            180 NM NORTHWEST QUADRANT
    ---
REMARKS:
111500Z POSITION NEAR 9.2N 150.9E.
11APR26. TYPHOON 04W (SINLAKU), LOCATED APPROXIMATELY 465 NM
SOUTHEAST OF NAVSTA GUAM, HAS TRACKED NORTHWESTWARD AT 04 KNOTS
OVER THE PAST SIX HOURS.
MINIMUM CENTRAL PRESSURE AT 111200Z IS 965 MB. MAXIMUM
SIGNIFICANT WAVE HEIGHT AT 111200Z IS 30 FEET. NEXT WARNINGS AT
112100Z, 120300Z, 120900Z AND 121500Z.//
NNNN
wp0426.gif
04W_111200sair.jpg
ascat_wind_04W_202604111135.png
fnv3_ens_wp.png
himawari9_rainbow_04W.gif
回復

使用道具 舉報

簽到天數: 3437 天

[LV.Master]伴壇終老

king111807|2026-4-12 12:40 | 顯示全部樓層
CWA 00Z報,巔峰上看58m/s

中度颱風辛樂克
編號第 04 號
國際命名 SINLAKU
現況
2026年04月12日08時

中心位置在北緯 9.7 度,東經 151.2 度
過去移動方向 北北西
過去移動時速 10公里
中心氣壓 930百帕
近中心最大風速每秒 48 公尺
瞬間最大陣風每秒 58 公尺
七級風平均暴風半徑 280 公里
 西北側 300 公里 東北側 320 公里
 西南側 220 公里 東南側 280 公里
十級風平均暴風半徑 100 公里
 西北側 110 公里 東北側 110 公里
 西南側 80 公里 東南側 100 公里
預測
預測 6 小時平均移向移速為

北北西 時速 13 公里
預測 04月12日14時
中心位置在北緯 10.3 度,東經 150.8 度
中心氣壓925百帕
近中心最大風速每秒 51 公尺
瞬間最大陣風每秒 63 公尺
七級風暴風半徑 300 公里
十級風暴風半徑 100 公里
70%機率半徑 30 公里
預測 6-12 小時平均移向移速為

西北 時速 16 公里
預測 04月12日20時
中心位置在北緯 10.9 度,東經 150.2 度
中心氣壓915百帕
近中心最大風速每秒 53 公尺
瞬間最大陣風每秒 65 公尺
七級風暴風半徑 320 公里
十級風暴風半徑 100 公里
70%機率半徑 40 公里
預測 12-18 小時平均移向移速為

西北 時速 16 公里
預測 04月13日02時
中心位置在北緯 11.4 度,東經 149.5 度
中心氣壓910百帕
近中心最大風速每秒 55 公尺
瞬間最大陣風每秒 68 公尺
七級風暴風半徑 350 公里
十級風暴風半徑 120 公里
70%機率半徑 80 公里
預測 18-24 小時平均移向移速為

西北西 時速 13 公里
預測 04月13日08時
中心位置在北緯 11.8 度,東經 148.9 度
中心氣壓900百帕
近中心最大風速每秒 58 公尺
瞬間最大陣風每秒 73 公尺
七級風暴風半徑 380 公里
十級風暴風半徑 150 公里
70%機率半徑 90 公里
預測 24-36 小時平均移向移速為

西北 時速 14 公里
預測 04月13日20時
中心位置在北緯 13.0 度,東經 147.9 度
中心氣壓900百帕
近中心最大風速每秒 58 公尺
瞬間最大陣風每秒 73 公尺
七級風暴風半徑 380 公里
十級風暴風半徑 150 公里
70%機率半徑 100 公里
預測 36-48 小時平均移向移速為

西北 時速 14 公里
預測 04月14日08時
中心位置在北緯 14.0 度,東經 146.8 度
中心氣壓900百帕
近中心最大風速每秒 58 公尺
瞬間最大陣風每秒 73 公尺
七級風暴風半徑 380 公里
十級風暴風半徑 150 公里
70%機率半徑 140 公里
預測 48-72 小時平均移向移速為

北北西 時速 10 公里
預測 04月15日08時
中心位置在北緯 15.8 度,東經 145.6 度
中心氣壓910百帕
近中心最大風速每秒 55 公尺
瞬間最大陣風每秒 68 公尺
七級風暴風半徑 380 公里
十級風暴風半徑 120 公里
70%機率半徑 200 公里
預測 72-96 小時平均移向移速為

北 時速 11 公里
預測 04月16日08時
中心位置在北緯 18.1 度,東經 145.4 度
中心氣壓925百帕
近中心最大風速每秒 51 公尺
瞬間最大陣風每秒 63 公尺
七級風暴風半徑 350 公里
十級風暴風半徑 120 公里
70%機率半徑 360 公里
預測 96-120 小時平均移向移速為

北北東 時速 12 公里
預測 04月17日08時
中心位置在北緯 20.5 度,東經 146.5 度
中心氣壓945百帕
近中心最大風速每秒 43 公尺
瞬間最大陣風每秒 53 公尺
七級風暴風半徑 320 公里
十級風暴風半徑 100 公里
70%機率半徑 410 公里
Download_PTA_202604120000_SINLAKU_zhtw.png
04W_AWV.png
04W_TRUECOLOR.png
回復

使用道具 舉報

簽到天數: 3437 天

[LV.Master]伴壇終老

king111807|2026-4-12 12:55 | 顯示全部樓層
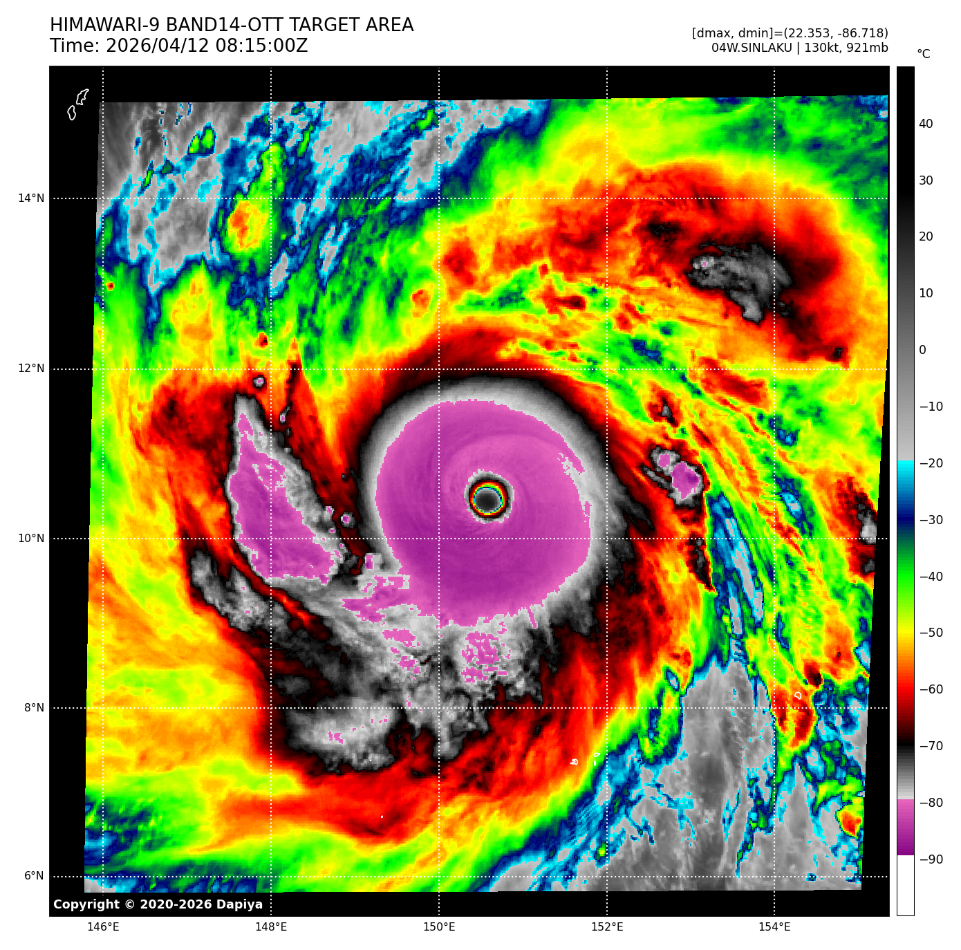
JTWC升格C3,巔峰上望130節

WTPN31 PGTW 120300
MSGID/GENADMIN/JOINT TYPHOON WRNCEN PEARL HARBOR HI//
SUBJ/TYPHOON 04W (SINLAKU) WARNING NR 013 //
RMKS/
1. TYPHOON 04W (SINLAKU) WARNING NR 013   
   01 ACTIVE TROPICAL CYCLONE IN NORTHWESTPAC
   MAX SUSTAINED WINDS BASED ON ONE-MINUTE AVERAGE
   WIND RADII VALID OVER OPEN WATER ONLY
    ---
   WARNING POSITION:
   120000Z --- NEAR 9.9N 151.2E
     MOVEMENT PAST SIX HOURS - 345 DEGREES AT 08 KTS
     POSITION ACCURATE TO WITHIN 020 NM
     POSITION BASED ON EYE FIXED BY SATELLITE
   PRESENT WIND DISTRIBUTION:
   MAX SUSTAINED WINDS - 110 KT, GUSTS 135 KT
   WIND RADII VALID OVER OPEN WATER ONLY
   RADIUS OF 064 KT WINDS - 040 NM NORTHEAST QUADRANT
                            050 NM SOUTHEAST QUADRANT
                            030 NM SOUTHWEST QUADRANT
                            035 NM NORTHWEST QUADRANT
   RADIUS OF 050 KT WINDS - 085 NM NORTHEAST QUADRANT
                            090 NM SOUTHEAST QUADRANT
                            105 NM SOUTHWEST QUADRANT
                            100 NM NORTHWEST QUADRANT
   RADIUS OF 034 KT WINDS - 215 NM NORTHEAST QUADRANT
                            180 NM SOUTHEAST QUADRANT
                            200 NM SOUTHWEST QUADRANT
                            180 NM NORTHWEST QUADRANT
   REPEAT POSIT: 9.9N 151.2E
    ---
   FORECASTS:
   12 HRS, VALID AT:
   121200Z --- 10.9N 150.3E
   MAX SUSTAINED WINDS - 125 KT, GUSTS 150 KT
   WIND RADII VALID OVER OPEN WATER ONLY
   RADIUS OF 064 KT WINDS - 050 NM NORTHEAST QUADRANT
                            055 NM SOUTHEAST QUADRANT
                            040 NM SOUTHWEST QUADRANT
                            045 NM NORTHWEST QUADRANT
   RADIUS OF 050 KT WINDS - 100 NM NORTHEAST QUADRANT
                            100 NM SOUTHEAST QUADRANT
                            110 NM SOUTHWEST QUADRANT
                            110 NM NORTHWEST QUADRANT
   RADIUS OF 034 KT WINDS - 210 NM NORTHEAST QUADRANT
                            190 NM SOUTHEAST QUADRANT
                            200 NM SOUTHWEST QUADRANT
                            190 NM NORTHWEST QUADRANT
   VECTOR TO 24 HR POSIT: 315 DEG/ 09 KTS
    ---
   24 HRS, VALID AT:
   130000Z --- 12.1N 149.0E
   MAX SUSTAINED WINDS - 130 KT, GUSTS 160 KT
   WIND RADII VALID OVER OPEN WATER ONLY
   RADIUS OF 064 KT WINDS - 055 NM NORTHEAST QUADRANT
                            055 NM SOUTHEAST QUADRANT
                            040 NM SOUTHWEST QUADRANT
                            050 NM NORTHWEST QUADRANT
   RADIUS OF 050 KT WINDS - 100 NM NORTHEAST QUADRANT
                            100 NM SOUTHEAST QUADRANT
                            110 NM SOUTHWEST QUADRANT
                            110 NM NORTHWEST QUADRANT
   RADIUS OF 034 KT WINDS - 210 NM NORTHEAST QUADRANT
                            190 NM SOUTHEAST QUADRANT
                            190 NM SOUTHWEST QUADRANT
                            190 NM NORTHWEST QUADRANT
   VECTOR TO 36 HR POSIT: 305 DEG/ 08 KTS
    ---
   36 HRS, VALID AT:
   131200Z --- 13.1N 147.6E
   MAX SUSTAINED WINDS - 130 KT, GUSTS 160 KT
   WIND RADII VALID OVER OPEN WATER ONLY
   RADIUS OF 064 KT WINDS - 060 NM NORTHEAST QUADRANT
                            060 NM SOUTHEAST QUADRANT
                            040 NM SOUTHWEST QUADRANT
                            055 NM NORTHWEST QUADRANT
   RADIUS OF 050 KT WINDS - 100 NM NORTHEAST QUADRANT
                            100 NM SOUTHEAST QUADRANT
                            100 NM SOUTHWEST QUADRANT
                            110 NM NORTHWEST QUADRANT
   RADIUS OF 034 KT WINDS - 210 NM NORTHEAST QUADRANT
                            190 NM SOUTHEAST QUADRANT
                            180 NM SOUTHWEST QUADRANT
                            200 NM NORTHWEST QUADRANT
   VECTOR TO 48 HR POSIT: 305 DEG/ 09 KTS
    ---
   EXTENDED OUTLOOK:
   48 HRS, VALID AT:
   140000Z --- 14.1N 146.0E
   MAX SUSTAINED WINDS - 125 KT, GUSTS 150 KT
   WIND RADII VALID OVER OPEN WATER ONLY
   RADIUS OF 064 KT WINDS - 060 NM NORTHEAST QUADRANT
                            060 NM SOUTHEAST QUADRANT
                            040 NM SOUTHWEST QUADRANT
                            055 NM NORTHWEST QUADRANT
   RADIUS OF 050 KT WINDS - 110 NM NORTHEAST QUADRANT
                            110 NM SOUTHEAST QUADRANT
                            100 NM SOUTHWEST QUADRANT
                            110 NM NORTHWEST QUADRANT
   RADIUS OF 034 KT WINDS - 210 NM NORTHEAST QUADRANT
                            190 NM SOUTHEAST QUADRANT
                            170 NM SOUTHWEST QUADRANT
                            190 NM NORTHWEST QUADRANT
   VECTOR TO 72 HR POSIT: 310 DEG/ 06 KTS
    ---
   72 HRS, VALID AT:
   150000Z --- 15.6N 144.2E
   MAX SUSTAINED WINDS - 120 KT, GUSTS 145 KT
   WIND RADII VALID OVER OPEN WATER ONLY
   RADIUS OF 064 KT WINDS - 065 NM NORTHEAST QUADRANT
                            065 NM SOUTHEAST QUADRANT
                            045 NM SOUTHWEST QUADRANT
                            050 NM NORTHWEST QUADRANT
   RADIUS OF 050 KT WINDS - 110 NM NORTHEAST QUADRANT
                            110 NM SOUTHEAST QUADRANT
                            100 NM SOUTHWEST QUADRANT
                            110 NM NORTHWEST QUADRANT
   RADIUS OF 034 KT WINDS - 210 NM NORTHEAST QUADRANT
                            200 NM SOUTHEAST QUADRANT
                            180 NM SOUTHWEST QUADRANT
                            190 NM NORTHWEST QUADRANT
   VECTOR TO 96 HR POSIT: 345 DEG/ 07 KTS
    ---
   LONG RANGE OUTLOOK:
    ---
   96 HRS, VALID AT:
   160000Z --- 18.4N 143.5E
   MAX SUSTAINED WINDS - 100 KT, GUSTS 125 KT
   WIND RADII VALID OVER OPEN WATER ONLY
   RADIUS OF 064 KT WINDS - 055 NM NORTHEAST QUADRANT
                            055 NM SOUTHEAST QUADRANT
                            045 NM SOUTHWEST QUADRANT
                            040 NM NORTHWEST QUADRANT
   RADIUS OF 050 KT WINDS - 100 NM NORTHEAST QUADRANT
                            100 NM SOUTHEAST QUADRANT
                            100 NM SOUTHWEST QUADRANT
                            090 NM NORTHWEST QUADRANT
   RADIUS OF 034 KT WINDS - 200 NM NORTHEAST QUADRANT
                            200 NM SOUTHEAST QUADRANT
                            180 NM SOUTHWEST QUADRANT
                            170 NM NORTHWEST QUADRANT
   VECTOR TO 120 HR POSIT: 010 DEG/ 06 KTS
    ---
   120 HRS, VALID AT:
   170000Z --- 20.9N 143.9E
   MAX SUSTAINED WINDS - 080 KT, GUSTS 100 KT
   WIND RADII VALID OVER OPEN WATER ONLY
   RADIUS OF 064 KT WINDS - 045 NM NORTHEAST QUADRANT
                            045 NM SOUTHEAST QUADRANT
                            035 NM SOUTHWEST QUADRANT
                            030 NM NORTHWEST QUADRANT
   RADIUS OF 050 KT WINDS - 090 NM NORTHEAST QUADRANT
                            090 NM SOUTHEAST QUADRANT
                            090 NM SOUTHWEST QUADRANT
                            080 NM NORTHWEST QUADRANT
   RADIUS OF 034 KT WINDS - 190 NM NORTHEAST QUADRANT
                            190 NM SOUTHEAST QUADRANT
                            160 NM SOUTHWEST QUADRANT
                            150 NM NORTHWEST QUADRANT
    ---
REMARKS:
120300Z POSITION NEAR 10.2N 151.0E.
12APR26. TYPHOON 04W (SINLAKU), LOCATED APPROXIMATELY 440 NM
EAST-SOUTHEAST OF NAVSTA GUAM, HAS TRACKED NORTH-NORTHWESTWARD AT 08
KNOTS OVER THE PAST SIX HOURS.
MINIMUM CENTRAL PRESSURE AT 120000Z IS 944 MB. MAXIMUM
SIGNIFICANT WAVE HEIGHT AT 120000Z IS 35 FEET. NEXT WARNINGS AT
120900Z, 121500Z, 122100Z AND 130300Z.//
NNNN
wp0426.gif
04W_120000sair.jpg
04W_OTT.png
20260411_201340_WP042026_mwi_wsfm_color89_94kts_100p00_res1p0-cr100-akima-bgInfr.jpeg
20260411_201340_WP042026_mwi_wsfm_89H_94kts_100p00_res1p0-cr100-akima-bgInfrared-Gray.jpeg
fnv3_ens_wp.png
himawari9_vis_04W.gif
回復

使用道具 舉報

簽到天數: 3437 天

[LV.Master]伴壇終老

king111807|2026-4-12 13:09 | 顯示全部樓層
667598178_1405063294985558_122148961209855403_n.jpg


【辛樂克快速增強中】
從雲圖可以看到,颱風核心紮實
颱風眼清晰可見,即將成為強烈颱風!

預估巔峰強度可達5級熱帶氣旋
也就是強烈颱風前段班
暴風半徑可達380公里
體型非常龐大!

預估週二(14)穿越關島西北方之後
就會逐漸北轉,最終再轉東北
對台灣、日本、韓國等地均無影響。

回復

使用道具 舉報

簽到天數: 3437 天

[LV.Master]伴壇終老

king111807|2026-4-12 15:31 | 顯示全部樓層
CWA 06Z報升格強颱,定強55m/s,巔峰上看60m/s
強烈颱風辛樂克
編號第 04 號
國際命名 SINLAKU
現況
2026年04月12日14時

中心位置在北緯 10.3 度,東經 150.6 度
過去移動方向 西北
過去移動時速 16公里
中心氣壓 910百帕
近中心最大風速每秒 55 公尺
瞬間最大陣風每秒 68 公尺
七級風平均暴風半徑 320 公里
 西北側 350 公里 東北側 350 公里
 西南側 250 公里 東南側 320 公里
十級風平均暴風半徑 150 公里
 西北側 150 公里 東北側 150 公里
 西南側 150 公里 東南側 150 公里
預測
預測 6 小時平均移向移速為

西北 時速 17 公里
預測 04月12日20時
中心位置在北緯 11.0 度,東經 150.0 度
中心氣壓895百帕
近中心最大風速每秒 60 公尺
瞬間最大陣風每秒 75 公尺
七級風暴風半徑 350 公里
十級風暴風半徑 150 公里
70%機率半徑 30 公里
預測 6-12 小時平均移向移速為

西北 時速 14 公里
預測 04月13日02時
中心位置在北緯 11.5 度,東經 149.4 度
中心氣壓895百帕
近中心最大風速每秒 60 公尺
瞬間最大陣風每秒 75 公尺
七級風暴風半徑 350 公里
十級風暴風半徑 150 公里
70%機率半徑 40 公里
預測 12-18 小時平均移向移速為

西北 時速 14 公里
預測 04月13日08時
中心位置在北緯 12.0 度,東經 148.8 度
中心氣壓895百帕
近中心最大風速每秒 60 公尺
瞬間最大陣風每秒 75 公尺
七級風暴風半徑 350 公里
十級風暴風半徑 150 公里
70%機率半徑 80 公里
預測 18-24 小時平均移向移速為

西北 時速 14 公里
預測 04月13日14時
中心位置在北緯 12.5 度,東經 148.2 度
中心氣壓895百帕
近中心最大風速每秒 60 公尺
瞬間最大陣風每秒 75 公尺
七級風暴風半徑 350 公里
十級風暴風半徑 150 公里
70%機率半徑 90 公里
預測 24-36 小時平均移向移速為

西北 時速 13 公里
預測 04月14日02時
中心位置在北緯 13.4 度,東經 147.1 度
中心氣壓895百帕
近中心最大風速每秒 60 公尺
瞬間最大陣風每秒 75 公尺
七級風暴風半徑 350 公里
十級風暴風半徑 150 公里
70%機率半徑 100 公里
預測 36-48 小時平均移向移速為

西北 時速 12 公里
預測 04月14日14時
中心位置在北緯 14.4 度,東經 146.3 度
中心氣壓900百帕
近中心最大風速每秒 58 公尺
瞬間最大陣風每秒 73 公尺
七級風暴風半徑 350 公里
十級風暴風半徑 150 公里
70%機率半徑 140 公里
預測 48-72 小時平均移向移速為

北北西 時速 9 公里
預測 04月15日14時
中心位置在北緯 16.1 度,東經 145.2 度
中心氣壓910百帕
近中心最大風速每秒 55 公尺
瞬間最大陣風每秒 68 公尺
七級風暴風半徑 350 公里
十級風暴風半徑 150 公里
70%機率半徑 200 公里
預測 72-96 小時平均移向移速為

北 時速 11 公里
預測 04月16日14時
中心位置在北緯 18.5 度,東經 145.2 度
中心氣壓925百帕
近中心最大風速每秒 51 公尺
瞬間最大陣風每秒 63 公尺
七級風暴風半徑 350 公里
十級風暴風半徑 120 公里
70%機率半徑 360 公里
預測 96-120 小時平均移向移速為

東北 時速 17 公里
預測 04月17日14時
中心位置在北緯 21.5 度,東經 147.6 度
中心氣壓945百帕
近中心最大風速每秒 43 公尺
瞬間最大陣風每秒 53 公尺
七級風暴風半徑 300 公里
十級風暴風半徑 100 公里
70%機率半徑 410 公里
Download_PTA_202604120600_SINLAKU_zhtw.png

H9_BD_R3_202604120727.jpg
H9_BW_R3_202604120727.jpg
H9_EIR_R3_202604120727.jpg
himawari9_rbtop_04W.gif
回復

使用道具 舉報

簽到天數: 3437 天

[LV.Master]伴壇終老

king111807|2026-4-12 15:58 | 顯示全部樓層
671487747_1405186894973198_7748277023599204510_n.jpg


強烈颱風「辛樂克」
未來36小時將處於巔峰狀態
近中心風速每秒可達60公尺!

回復

使用道具 舉報

簽到天數: 582 天

[LV.9]以壇為家II

蜜露|2026-4-12 16:34 | 顯示全部樓層




這個辛樂克 真是不得了


04W_OTT (1).png

04W_CA (4).png


4月歷史最強的只有3個颱風

1989 安迪  2015 梅莎  2021 舒力基


但是這個 2026 辛樂克   Raw T 8.0  雖然 舒力基也達到 這個數值.  

但辛樂克內外型態甚至是貨真價值的完美風暴

回復

使用道具 舉報

簽到天數: 3437 天

[LV.Master]伴壇終老

king111807|2026-4-12 17:24 | 顯示全部樓層
JTWC升格C4,上看C5

WTPN31 PGTW 120900
MSGID/GENADMIN/JOINT TYPHOON WRNCEN PEARL HARBOR HI//
SUBJ/SUPER TYPHOON 04W (SINLAKU) WARNING NR 014//
RMKS/
1. SUPER TYPHOON 04W (SINLAKU) WARNING NR 014   
   UPGRADED FROM TYPHOON 04W
   01 ACTIVE TROPICAL CYCLONE IN NORTHWESTPAC
   MAX SUSTAINED WINDS BASED ON ONE-MINUTE AVERAGE
   WIND RADII VALID OVER OPEN WATER ONLY
    ---
   WARNING POSITION:
   120600Z --- NEAR 10.3N 150.6E
     MOVEMENT PAST SIX HOURS - 310 DEGREES AT 08 KTS
     POSITION ACCURATE TO WITHIN 015 NM
     POSITION BASED ON EYE FIXED BY SATELLITE
   PRESENT WIND DISTRIBUTION:
   MAX SUSTAINED WINDS - 130 KT, GUSTS 160 KT
   WIND RADII VALID OVER OPEN WATER ONLY
   RADIUS OF 064 KT WINDS - 040 NM NORTHEAST QUADRANT
                            050 NM SOUTHEAST QUADRANT
                            030 NM SOUTHWEST QUADRANT
                            035 NM NORTHWEST QUADRANT
   RADIUS OF 050 KT WINDS - 085 NM NORTHEAST QUADRANT
                            090 NM SOUTHEAST QUADRANT
                            105 NM SOUTHWEST QUADRANT
                            100 NM NORTHWEST QUADRANT
   RADIUS OF 034 KT WINDS - 215 NM NORTHEAST QUADRANT
                            180 NM SOUTHEAST QUADRANT
                            200 NM SOUTHWEST QUADRANT
                            180 NM NORTHWEST QUADRANT
   REPEAT POSIT: 10.3N 150.6E
    ---
   FORECASTS:
   12 HRS, VALID AT:
   121800Z --- 11.5N 149.4E
   MAX SUSTAINED WINDS - 140 KT, GUSTS 170 KT
   WIND RADII VALID OVER OPEN WATER ONLY
   RADIUS OF 064 KT WINDS - 050 NM NORTHEAST QUADRANT
                            040 NM SOUTHEAST QUADRANT
                            030 NM SOUTHWEST QUADRANT
                            040 NM NORTHWEST QUADRANT
   RADIUS OF 050 KT WINDS - 090 NM NORTHEAST QUADRANT
                            080 NM SOUTHEAST QUADRANT
                            080 NM SOUTHWEST QUADRANT
                            090 NM NORTHWEST QUADRANT
   RADIUS OF 034 KT WINDS - 210 NM NORTHEAST QUADRANT
                            190 NM SOUTHEAST QUADRANT
                            170 NM SOUTHWEST QUADRANT
                            180 NM NORTHWEST QUADRANT
   VECTOR TO 24 HR POSIT: 310 DEG/ 08 KTS
    ---
   24 HRS, VALID AT:
   130600Z --- 12.5N 148.2E
   MAX SUSTAINED WINDS - 140 KT, GUSTS 170 KT
   WIND RADII VALID OVER OPEN WATER ONLY
   RADIUS OF 064 KT WINDS - 050 NM NORTHEAST QUADRANT
                            040 NM SOUTHEAST QUADRANT
                            030 NM SOUTHWEST QUADRANT
                            040 NM NORTHWEST QUADRANT
   RADIUS OF 050 KT WINDS - 100 NM NORTHEAST QUADRANT
                            080 NM SOUTHEAST QUADRANT
                            080 NM SOUTHWEST QUADRANT
                            090 NM NORTHWEST QUADRANT
   RADIUS OF 034 KT WINDS - 210 NM NORTHEAST QUADRANT
                            200 NM SOUTHEAST QUADRANT
                            170 NM SOUTHWEST QUADRANT
                            190 NM NORTHWEST QUADRANT
   VECTOR TO 36 HR POSIT: 310 DEG/ 09 KTS
    ---
   36 HRS, VALID AT:
   131800Z --- 13.6N 146.8E
   MAX SUSTAINED WINDS - 135 KT, GUSTS 165 KT
   WIND RADII VALID OVER OPEN WATER ONLY
   RADIUS OF 064 KT WINDS - 050 NM NORTHEAST QUADRANT
                            040 NM SOUTHEAST QUADRANT
                            030 NM SOUTHWEST QUADRANT
                            040 NM NORTHWEST QUADRANT
   RADIUS OF 050 KT WINDS - 100 NM NORTHEAST QUADRANT
                            080 NM SOUTHEAST QUADRANT
                            080 NM SOUTHWEST QUADRANT
                            090 NM NORTHWEST QUADRANT
   RADIUS OF 034 KT WINDS - 210 NM NORTHEAST QUADRANT
                            200 NM SOUTHEAST QUADRANT
                            170 NM SOUTHWEST QUADRANT
                            180 NM NORTHWEST QUADRANT
   VECTOR TO 48 HR POSIT: 315 DEG/ 07 KTS
    ---
   EXTENDED OUTLOOK:
   48 HRS, VALID AT:
   140600Z --- 14.6N 145.7E
   MAX SUSTAINED WINDS - 130 KT, GUSTS 160 KT
   WIND RADII VALID OVER OPEN WATER ONLY
   RADIUS OF 064 KT WINDS - 040 NM NORTHEAST QUADRANT
                            040 NM SOUTHEAST QUADRANT
                            040 NM SOUTHWEST QUADRANT
                            040 NM NORTHWEST QUADRANT
   RADIUS OF 050 KT WINDS - 100 NM NORTHEAST QUADRANT
                            090 NM SOUTHEAST QUADRANT
                            090 NM SOUTHWEST QUADRANT
                            090 NM NORTHWEST QUADRANT
   RADIUS OF 034 KT WINDS - 200 NM NORTHEAST QUADRANT
                            200 NM SOUTHEAST QUADRANT
                            180 NM SOUTHWEST QUADRANT
                            180 NM NORTHWEST QUADRANT
   VECTOR TO 72 HR POSIT: 330 DEG/ 06 KTS
    ---
   72 HRS, VALID AT:
   150600Z --- 16.6N 144.6E
   MAX SUSTAINED WINDS - 120 KT, GUSTS 145 KT
   WIND RADII VALID OVER OPEN WATER ONLY
   RADIUS OF 064 KT WINDS - 050 NM NORTHEAST QUADRANT
                            050 NM SOUTHEAST QUADRANT
                            040 NM SOUTHWEST QUADRANT
                            040 NM NORTHWEST QUADRANT
   RADIUS OF 050 KT WINDS - 100 NM NORTHEAST QUADRANT
                            100 NM SOUTHEAST QUADRANT
                            090 NM SOUTHWEST QUADRANT
                            090 NM NORTHWEST QUADRANT
   RADIUS OF 034 KT WINDS - 200 NM NORTHEAST QUADRANT
                            200 NM SOUTHEAST QUADRANT
                            180 NM SOUTHWEST QUADRANT
                            170 NM NORTHWEST QUADRANT
   VECTOR TO 96 HR POSIT: 350 DEG/ 06 KTS
    ---
   LONG RANGE OUTLOOK:
    ---
   96 HRS, VALID AT:
   160600Z --- 18.9N 144.2E
   MAX SUSTAINED WINDS - 100 KT, GUSTS 125 KT
   WIND RADII VALID OVER OPEN WATER ONLY
   RADIUS OF 064 KT WINDS - 060 NM NORTHEAST QUADRANT
                            060 NM SOUTHEAST QUADRANT
                            040 NM SOUTHWEST QUADRANT
                            040 NM NORTHWEST QUADRANT
   RADIUS OF 050 KT WINDS - 100 NM NORTHEAST QUADRANT
                            100 NM SOUTHEAST QUADRANT
                            090 NM SOUTHWEST QUADRANT
                            090 NM NORTHWEST QUADRANT
   RADIUS OF 034 KT WINDS - 190 NM NORTHEAST QUADRANT
                            200 NM SOUTHEAST QUADRANT
                            180 NM SOUTHWEST QUADRANT
                            160 NM NORTHWEST QUADRANT
   VECTOR TO 120 HR POSIT: 015 DEG/ 07 KTS
    ---
   120 HRS, VALID AT:
   170600Z --- 21.7N 145.0E
   MAX SUSTAINED WINDS - 080 KT, GUSTS 100 KT
   WIND RADII VALID OVER OPEN WATER ONLY
   RADIUS OF 064 KT WINDS - 060 NM NORTHEAST QUADRANT
                            060 NM SOUTHEAST QUADRANT
                            040 NM SOUTHWEST QUADRANT
                            040 NM NORTHWEST QUADRANT
   RADIUS OF 050 KT WINDS - 100 NM NORTHEAST QUADRANT
                            100 NM SOUTHEAST QUADRANT
                            090 NM SOUTHWEST QUADRANT
                            090 NM NORTHWEST QUADRANT
   RADIUS OF 034 KT WINDS - 225 NM NORTHEAST QUADRANT
                            225 NM SOUTHEAST QUADRANT
                            180 NM SOUTHWEST QUADRANT
                            160 NM NORTHWEST QUADRANT
    ---
REMARKS:
120900Z POSITION NEAR 10.6N 150.3E.
12APR26. SUPER TYPHOON 04W (SINLAKU), LOCATED APPROXIMATELY 398
NM EAST-SOUTHEAST OF NAVSTA GUAM, HAS TRACKED NORTHWESTWARD AT 08
KNOTS OVER THE PAST SIX HOURS.
MINIMUM CENTRAL PRESSURE AT 120600Z IS 921 MB. MAXIMUM
SIGNIFICANT WAVE HEIGHT AT 120600Z IS 36 FEET. NEXT WARNINGS AT
121500Z, 122100Z, 130300Z AND 130900Z.//
NNNN
wp0426.gif
04W_120600sair.jpg
04W_BW.png
04W_AWV.png
SINLAKU_tc_ec_ens.png
himawari9_rainbow_04W.gif
回復

使用道具 舉報

快速回覆
您需要登錄後才可以回帖 登錄 | 立即加入

本版積分規則

本平台僅供學術討論之用,預報應以氣象局為準

威普網站虛擬主機贊助公司

臺灣第一個天氣類型社群平台 即時天氣資訊、精準颱風動態

線上客服
FB傳送訊息
廣告行銷
精準行銷 物超所值
官方粉專
發佈 快速回復 返回頂部 返回列表