開啟輔助訪問
 找回密碼
 立即加入

2521 麥德姆 巔峰達中颱 先後登陸菲律賓及中國廣東

簽到天數: 3289 天

[LV.Master]伴壇終老

king111807|2025-10-4 13:06 | 顯示全部樓層
CWA升格中颱
中度颱風麥德姆
編號第 21 號
國際命名 MATMO
現況
2025年10月04日08時

中心位置在北緯 17.8 度,東經 116.5 度
過去移動方向 西北西
過去移動時速 27公里
中心氣壓 970百帕
近中心最大風速每秒 33 公尺
瞬間最大陣風每秒 43 公尺
七級風平均暴風半徑 200 公里
 西北側 220 公里 東北側 220 公里
 西南側 180 公里 東南側 180 公里
十級風平均暴風半徑 80 公里
 西北側 80 公里 東北側 80 公里
 西南側 80 公里 東南側 80 公里
預測
預測 6 小時平均移向移速為

西北西 時速 23 公里
預測 10月04日14時
中心位置在北緯 18.3 度,東經 115.3 度
中心氣壓965百帕
近中心最大風速每秒 35 公尺
瞬間最大陣風每秒 45 公尺
七級風暴風半徑 200 公里
十級風暴風半徑 80 公里
70%機率半徑 30 公里
預測 6-12 小時平均移向移速為

西北西 時速 25 公里
預測 10月04日20時
中心位置在北緯 18.8 度,東經 114.0 度
中心氣壓960百帕
近中心最大風速每秒 38 公尺
瞬間最大陣風每秒 48 公尺
七級風暴風半徑 220 公里
十級風暴風半徑 90 公里
70%機率半徑 60 公里
預測 12-18 小時平均移向移速為

西北西 時速 23 公里
預測 10月05日02時
中心位置在北緯 19.3 度,東經 112.8 度
中心氣壓950百帕
近中心最大風速每秒 40 公尺
瞬間最大陣風每秒 50 公尺
七級風暴風半徑 220 公里
十級風暴風半徑 90 公里
70%機率半徑 70 公里
預測 18-24 小時平均移向移速為

西北西 時速 22 公里
預測 10月05日08時
中心位置在北緯 19.9 度,東經 111.7 度
中心氣壓950百帕
近中心最大風速每秒 40 公尺
瞬間最大陣風每秒 50 公尺
七級風暴風半徑 200 公里
十級風暴風半徑 90 公里
70%機率半徑 90 公里
預測 24-36 小時平均移向移速為

西北西 時速 21 公里
預測 10月05日20時
中心位置在北緯 21.1 度,東經 109.6 度
中心氣壓970百帕
近中心最大風速每秒 33 公尺
瞬間最大陣風每秒 43 公尺
七級風暴風半徑 180 公里
十級風暴風半徑 50 公里
70%機率半徑 120 公里
預測 36-48 小時平均移向移速為

西北西 時速 20 公里
預測 10月06日08時
中心位置在北緯 22.1 度,東經 107.6 度
中心氣壓985百帕
近中心最大風速每秒 25 公尺
瞬間最大陣風每秒 33 公尺
七級風暴風半徑 100 公里
70%機率半徑 170 公里
預測 48-72 小時平均移向移速為

西北西 時速 19 公里
預測 10月07日08時
中心位置在北緯 23.7 度,東經 103.4 度
中心氣壓1005百帕
近中心最大風速每秒 10 公尺
瞬間最大陣風每秒 15 公尺
70%機率半徑 240 公里
預測 72 小時內減弱為熱帶性低氣壓
Download_PTA_202510040000_MATMO_zhtw.png
fnv3_27W_ensemble_2025100318.png
ecmwf_26W_ensemble_2025100318.png
MATMO.png
27W_color37_20251003213652.jpeg
27W_89H_20251003213652.jpeg
27W_TRUECOLOR.png


回復

使用道具 舉報

簽到天數: 3289 天

[LV.Master]伴壇終老

king111807|2025-10-4 13:10 | 顯示全部樓層
556892933_1243077177850838_4244418420223687226_n.jpg
麥德姆颱風進入南海後快速重整
環流型態改善許多
目前已增強為中度颱風!

麥德姆將於明天下午左右
擦過中國海南到東北角後,登陸雷州半島。

回復

使用道具 舉報

簽到天數: 3289 天

[LV.Master]伴壇終老

king111807|2025-10-4 22:11 | 顯示全部樓層
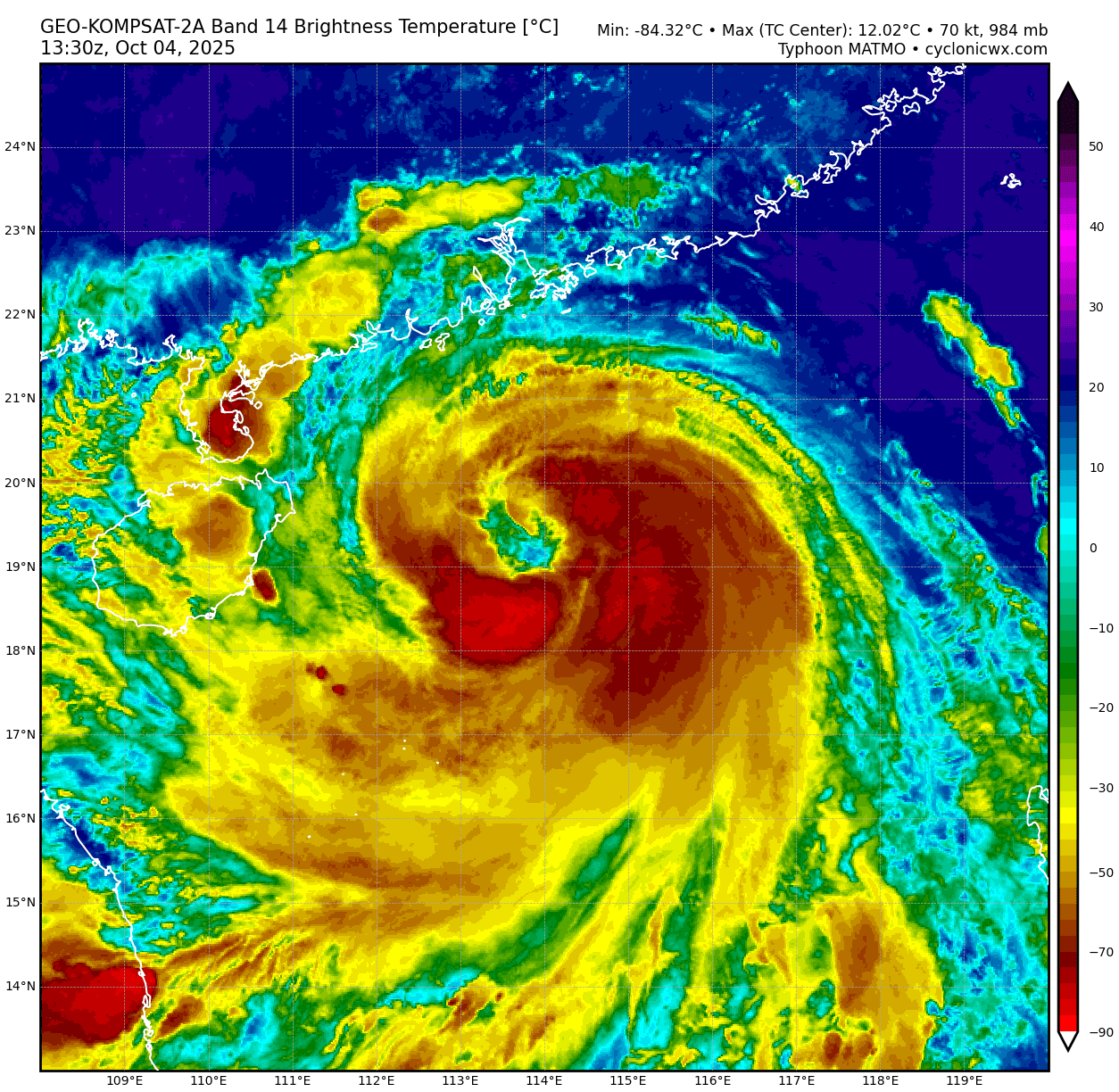
JTWC升格C1

WTPN31 PGTW 041500
MSGID/GENADMIN/JOINT TYPHOON WRNCEN PEARL HARBOR HI//
SUBJ/TYPHOON 27W (MATMO) WARNING NR 014//
RMKS/
1. TYPHOON 27W (MATMO) WARNING NR 014   
   UPGRADED FROM TROPICAL STORM 27W
   02 ACTIVE TROPICAL CYCLONES IN NORTHWESTPAC
   MAX SUSTAINED WINDS BASED ON ONE-MINUTE AVERAGE
   WIND RADII VALID OVER OPEN WATER ONLY
    ---
   WARNING POSITION:
   041200Z --- NEAR 19.0N 114.0E
     MOVEMENT PAST SIX HOURS - 300 DEGREES AT 14 KTS
     POSITION ACCURATE TO WITHIN 040 NM
     POSITION BASED ON EYE FIXED BY SATELLITE
   PRESENT WIND DISTRIBUTION:
   MAX SUSTAINED WINDS - 070 KT, GUSTS 085 KT
   WIND RADII VALID OVER OPEN WATER ONLY
   RADIUS OF 064 KT WINDS - 030 NM NORTHEAST QUADRANT
                            030 NM SOUTHEAST QUADRANT
                            025 NM SOUTHWEST QUADRANT
                            025 NM NORTHWEST QUADRANT
   RADIUS OF 050 KT WINDS - 060 NM NORTHEAST QUADRANT
                            060 NM SOUTHEAST QUADRANT
                            040 NM SOUTHWEST QUADRANT
                            050 NM NORTHWEST QUADRANT
   RADIUS OF 034 KT WINDS - 150 NM NORTHEAST QUADRANT
                            130 NM SOUTHEAST QUADRANT
                            110 NM SOUTHWEST QUADRANT
                            150 NM NORTHWEST QUADRANT
   REPEAT POSIT: 19.0N 114.0E
    ---
   FORECASTS:
   12 HRS, VALID AT:
   050000Z --- 20.3N 111.7E
   MAX SUSTAINED WINDS - 090 KT, GUSTS 110 KT
   WIND RADII VALID OVER OPEN WATER ONLY
   RADIUS OF 064 KT WINDS - 030 NM NORTHEAST QUADRANT
                            040 NM SOUTHEAST QUADRANT
                            030 NM SOUTHWEST QUADRANT
                            030 NM NORTHWEST QUADRANT
   RADIUS OF 050 KT WINDS - 060 NM NORTHEAST QUADRANT
                            060 NM SOUTHEAST QUADRANT
                            050 NM SOUTHWEST QUADRANT
                            050 NM NORTHWEST QUADRANT
   RADIUS OF 034 KT WINDS - 140 NM NORTHEAST QUADRANT
                            130 NM SOUTHEAST QUADRANT
                            100 NM SOUTHWEST QUADRANT
                            120 NM NORTHWEST QUADRANT
   VECTOR TO 24 HR POSIT: 300 DEG/ 12 KTS
    ---
   24 HRS, VALID AT:
   051200Z --- 21.4N 109.5E
   MAX SUSTAINED WINDS - 070 KT, GUSTS 085 KT
   WIND RADII VALID OVER OPEN WATER ONLY
   RADIUS OF 064 KT WINDS - 030 NM NORTHEAST QUADRANT
                            040 NM SOUTHEAST QUADRANT
                            020 NM SOUTHWEST QUADRANT
                            020 NM NORTHWEST QUADRANT
   RADIUS OF 050 KT WINDS - 040 NM NORTHEAST QUADRANT
                            050 NM SOUTHEAST QUADRANT
                            040 NM SOUTHWEST QUADRANT
                            040 NM NORTHWEST QUADRANT
   RADIUS OF 034 KT WINDS - 100 NM NORTHEAST QUADRANT
                            120 NM SOUTHEAST QUADRANT
                            080 NM SOUTHWEST QUADRANT
                            080 NM NORTHWEST QUADRANT
   VECTOR TO 36 HR POSIT: 300 DEG/ 11 KTS
    ---
   36 HRS, VALID AT:
   060000Z --- 22.4N 107.5E
   MAX SUSTAINED WINDS - 050 KT, GUSTS 065 KT
   WIND RADII VALID OVER OPEN WATER ONLY
   RADIUS OF 050 KT WINDS - 030 NM NORTHEAST QUADRANT
                            030 NM SOUTHEAST QUADRANT
                            030 NM SOUTHWEST QUADRANT
                            020 NM NORTHWEST QUADRANT
   RADIUS OF 034 KT WINDS - 070 NM NORTHEAST QUADRANT
                            110 NM SOUTHEAST QUADRANT
                            060 NM SOUTHWEST QUADRANT
                            050 NM NORTHWEST QUADRANT
   VECTOR TO 48 HR POSIT: 295 DEG/ 09 KTS
    ---
   EXTENDED OUTLOOK:
   48 HRS, VALID AT:
   061200Z --- 23.2N 105.7E
   MAX SUSTAINED WINDS - 030 KT, GUSTS 040 KT
   WIND RADII VALID OVER OPEN WATER ONLY
   DISSIPATING AS A SIGNIFICANT TROPICAL CYCLONE OVER LAND
   VECTOR TO 72 HR POSIT: 295 DEG/ 09 KTS
    ---
   72 HRS, VALID AT:
   071200Z --- 24.7N 102.2E
   MAX SUSTAINED WINDS - 015 KT, GUSTS 025 KT
   WIND RADII VALID OVER OPEN WATER ONLY
   DISSIPATED AS A SIGNIFICANT TROPICAL CYCLONE OVER LAND
    ---
REMARKS:
041500Z POSITION NEAR 19.3N 113.4E.
04OCT25. TYPHOON 27W (MATMO), LOCATED APPROXIMATELY 198 NM SOUTH
OF HONG KONG, HAS TRACKED WEST-NORTHWESTWARD AT 14 KNOTS OVER THE
PAST SIX HOURS. MINIMUM CENTRAL PRESSURE AT 041200Z IS 984 MB. MAXIMUM
SIGNIFICANT WAVE HEIGHT AT 041200Z IS 30 FEET. NEXT WARNINGS AT
042100Z, 050300Z, 050900Z AND 051500Z. REFER TO TROPICAL DEPRESSION
28W (TWENTYEIGHT) WARNINGS (WTPN32 PGTW) FOR SIX-HOURLY UPDATES.//
NNNN
wp2725.gif
27W_041200sair.jpg
27W_color37_20251004102437.jpeg
27W_89H_20251004102437.jpeg
ir-animated.gif
gk2a_27W_rainbow_202510041330.png
回復

使用道具 舉報

簽到天數: 3289 天

[LV.Master]伴壇終老

king111807|2025-10-5 10:25 | 顯示全部樓層
JMA升格TY

台風第21号(マットゥモ)
2025年10月05日10時10分発表
05日09時の実況
種別        台風
大きさ        -
強さ        強い
存在地域        南シナ海
中心位置        北緯20度20分 (20.3度)
東経111度30分 (111.5度)
進行方向、速さ        西北西 20 km/h (12 kt)
中心気圧        975 hPa
中心付近の最大風速        35 m/s (65 kt)
最大瞬間風速        50 m/s (95 kt)
25m/s以上の暴風域        全域 75 km (40 NM)
15m/s以上の強風域        東側 390 km (210 NM)
西側 280 km (150 NM)
05日21時の予報
種別        台風
強さ        強い
存在地域        トンキン湾
予報円の中心        北緯21度25分 (21.4度)
東経109度30分 (109.5度)
進行方向、速さ        西北西 20 km/h (11 kt)
中心気圧        970 hPa
中心付近の最大風速        35 m/s (70 kt)
最大瞬間風速        50 m/s (100 kt)
予報円の半径        45 km (25 NM)
暴風警戒域        全域 140 km (75 NM)
06日09時の予報
種別        台風
強さ        -
存在地域        華南
予報円の中心        北緯22度20分 (22.3度)
東経107度30分 (107.5度)
進行方向、速さ        西北西 20 km/h (10 kt)
中心気圧        992 hPa
最大風速        23 m/s (45 kt)
最大瞬間風速        35 m/s (65 kt)
予報円の半径        65 km (35 NM)
07日09時の予報
種別        熱帯低気圧
強さ        -
存在地域        ベトナム
予報円の中心        北緯23度05分 (23.1度)
東経105度05分 (105.1度)
進行方向、速さ        西北西 10 km/h (6 kt)
中心気圧        1006 hPa
予報円の半径        130 km (70 NM)
typhoon_2521-large.jpg
27W_VIS.png
27W_TRUECOLOR.png
rbtop-animated.gif
回復

使用道具 舉報

簽到天數: 3289 天

[LV.Master]伴壇終老

king111807|2025-10-5 10:33 | 顯示全部樓層
JTWC升格C2

WTPN31 PGTW 050300
MSGID/GENADMIN/JOINT TYPHOON WRNCEN PEARL HARBOR HI//
SUBJ/TYPHOON 27W (MATMO) WARNING NR 016//
RMKS/
1. TYPHOON 27W (MATMO) WARNING NR 016   
   02 ACTIVE TROPICAL CYCLONES IN NORTHWESTPAC
   MAX SUSTAINED WINDS BASED ON ONE-MINUTE AVERAGE
   WIND RADII VALID OVER OPEN WATER ONLY
    ---
   WARNING POSITION:
   050000Z --- NEAR 20.2N 111.6E
     MOVEMENT PAST SIX HOURS - 295 DEGREES AT 12 KTS
     POSITION ACCURATE TO WITHIN 030 NM
     POSITION BASED ON EYE FIXED BY A COMBINATION OF
     SATELLITE AND RADAR
   PRESENT WIND DISTRIBUTION:
   MAX SUSTAINED WINDS - 090 KT, GUSTS 110 KT
   WIND RADII VALID OVER OPEN WATER ONLY
   RADIUS OF 064 KT WINDS - 030 NM NORTHEAST QUADRANT
                            030 NM SOUTHEAST QUADRANT
                            025 NM SOUTHWEST QUADRANT
                            025 NM NORTHWEST QUADRANT
   RADIUS OF 050 KT WINDS - 065 NM NORTHEAST QUADRANT
                            070 NM SOUTHEAST QUADRANT
                            050 NM SOUTHWEST QUADRANT
                            050 NM NORTHWEST QUADRANT
   RADIUS OF 034 KT WINDS - 150 NM NORTHEAST QUADRANT
                            130 NM SOUTHEAST QUADRANT
                            110 NM SOUTHWEST QUADRANT
                            140 NM NORTHWEST QUADRANT
   REPEAT POSIT: 20.2N 111.6E
    ---
   FORECASTS:
   12 HRS, VALID AT:
   051200Z --- 21.3N 109.5E
   MAX SUSTAINED WINDS - 080 KT, GUSTS 100 KT
   WIND RADII VALID OVER OPEN WATER ONLY
   RADIUS OF 064 KT WINDS - 025 NM NORTHEAST QUADRANT
                            025 NM SOUTHEAST QUADRANT
                            025 NM SOUTHWEST QUADRANT
                            025 NM NORTHWEST QUADRANT
   RADIUS OF 050 KT WINDS - 070 NM NORTHEAST QUADRANT
                            070 NM SOUTHEAST QUADRANT
                            050 NM SOUTHWEST QUADRANT
                            050 NM NORTHWEST QUADRANT
   RADIUS OF 034 KT WINDS - 140 NM NORTHEAST QUADRANT
                            130 NM SOUTHEAST QUADRANT
                            110 NM SOUTHWEST QUADRANT
                            140 NM NORTHWEST QUADRANT
   VECTOR TO 24 HR POSIT: 295 DEG/ 11 KTS
    ---
   24 HRS, VALID AT:
   060000Z --- 22.2N 107.4E
   MAX SUSTAINED WINDS - 055 KT, GUSTS 070 KT
   WIND RADII VALID OVER OPEN WATER ONLY
   RADIUS OF 050 KT WINDS - 050 NM NORTHEAST QUADRANT
                            050 NM SOUTHEAST QUADRANT
                            030 NM SOUTHWEST QUADRANT
                            040 NM NORTHWEST QUADRANT
   RADIUS OF 034 KT WINDS - 120 NM NORTHEAST QUADRANT
                            100 NM SOUTHEAST QUADRANT
                            080 NM SOUTHWEST QUADRANT
                            110 NM NORTHWEST QUADRANT
   VECTOR TO 36 HR POSIT: 295 DEG/ 10 KTS
    ---
   36 HRS, VALID AT:
   061200Z --- 23.1N 105.4E
   MAX SUSTAINED WINDS - 035 KT, GUSTS 045 KT
   WIND RADII VALID OVER OPEN WATER ONLY
   DISSIPATING AS A SIGNIFICANT TROPICAL CYCLONE OVER LAND
   VECTOR TO 48 HR POSIT: 295 DEG/ 10 KTS
    ---
   EXTENDED OUTLOOK:
   48 HRS, VALID AT:
   070000Z --- 24.0N 103.4E
   MAX SUSTAINED WINDS - 020 KT, GUSTS 030 KT
   WIND RADII VALID OVER OPEN WATER ONLY
   DISSIPATED AS A SIGNIFICANT TROPICAL CYCLONE OVER LAND
    ---
REMARKS:
050300Z POSITION NEAR 20.5N 111.1E.
05OCT25. TYPHOON 27W (MATMO), LOCATED APPROXIMATELY 192 NM
SOUTHWEST OF HONG KONG, HAS TRACKED WEST-NORTHWESTWARD AT 12
KNOTS OVER THE PAST SIX HOURS. MINIMUM CENTRAL PRESSURE AT
050000Z IS 968 MB. MAXIMUM SIGNIFICANT WAVE HEIGHT AT 050000Z
IS 36 FEET. NEXT WARNINGS AT 050900Z, 051500Z, 052100Z AND 060300Z.
REFER TO TROPICAL STORM 28W (HALONG) WARNINGS (WTPN32 PGTW)
FOR SIX-HOURLY UPDATES.//
NNNN
wp2725.gif
27W_050000sair.jpg
27W_color37_20251004225402.jpeg
27W_89H_20251004225402.jpeg
gk2a_27W_rainbow_202510050140.png
rgb-animated.gif
回復

使用道具 舉報

簽到天數: 582 天

[LV.9]以壇為家II

蜜露|2025-10-5 12:06 | 顯示全部樓層





27W_VIS (1).png

移動速度滿快的,強度和楊柳感覺差不多
就Cat.2 上限的一個颱風

跟前一個樺加沙相比,這個路徑比較偏西快要到湛江過去了
海南島今年的颱風也很多.


回復

使用道具 舉報

簽到天數: 3289 天

[LV.Master]伴壇終老

king111807|2025-10-5 13:37 | 顯示全部樓層

557684267_1243974337761122_523468430994381502_n.jpg
中颱麥德姆颱風即將登陸中國雷州半島!
回復

使用道具 舉報

簽到天數: 4971 天

[LV.Master]伴壇終老

s6815711|2025-10-5 15:02 | 顯示全部樓層
台风快讯
2025年总1577期
中国气象局中央气象台10月05日14时52分
今年第21号台风“麦德姆”的中心已于05日14时50分前后在广东省湛江市徐闻县东部沿海登陆,登陆时中心附近最大风力有14级(42米/秒,强台风级),中心最低气压965百帕


回復

使用道具 舉報

快速回覆
您需要登錄後才可以回帖 登錄 | 立即加入

本版積分規則

本平台僅供學術討論之用,預報應以氣象局為準

威普網站虛擬主機贊助公司

臺灣第一個天氣類型社群平台 即時天氣資訊、精準颱風動態

線上客服
FB傳送訊息
廣告行銷
精準行銷 物超所值
官方粉專
發佈 快速回復 返回頂部 返回列表