開啟輔助訪問
 找回密碼
 立即加入

13L.Melissa NHC:160KT 年度風王 先後登陸牙買加 古巴 重創牙買加

簽到天數: 582 天

[LV.9]以壇為家II

蜜露|2025-10-27 21:16 | 顯示全部樓層



這就是 CIMSS  ADT  8.3  CI  8.1 的颶風嗎

如果沒有實測 真以為是個165+的

結果美軍2架飛機的實測 都是令人意外的

MELISSA_NOAA2_1913A_full (1).png

MELISSA_AF308_2013A_full (1).png



13L_OTT (9).png

13LP (1).gif

Peak Flight-Level Winds: 155kt at 11:19z
Peak SFMR: N/A Peak WL150/500 Wind (Reduced): 173.0kt (141.9kt) at 12:38z
Minimum Extrap. Pressure: 909.9mb at 12:39z

recon_AF308-2013A-MELISSA_timeseries.png

8.0 的 Cat.5  140Kts

入門Cat.5 ..

回復

使用道具 舉報

簽到天數: 3356 天

[LV.Master]伴壇終老

king111807|2025-10-28 02:17 | 顯示全部樓層
NHC最新一報,評價150節
000
WTNT43 KNHC 272042
TCDAT3

Hurricane Melissa Discussion Number  26
NWS National Hurricane Center Miami FL       AL132025
500 PM EDT Mon Oct 27 2025

A few hours ago, data from an Air Force Reserve Hurricane Hunter
aircraft showed that the central pressure in Melissa had fallen to
near 906 mb. The aircraft measured maximum 700-mb flight-level
winds of 161 kt, which supports surface winds of near 145 kt. In
addition, low-level winds measured by a dropwindsonde in the
northeastern eyewall support surface winds of 155 kt.
During the
time since the aircraft departed the hurricane, there has been
little change in organization and no obvious signs that Melissa has
weakened. Thus, the initial intensity is set at 150 kt as a blend
of the surface wind estimates mentioned above. NOAA and Air Force
Reserve Hurricane Hunter aircraft will again investigate Melissa
during the next few hours.

Melissa is starting its northward turn, and the initial motion is
now northwestward or 315/3 kt. The mid-level ridge north of Melissa
continues to weaken as a deep-layer mid-latitude trough moves
eastward through the southeastern United States into the
southwestern Atlantic.  This should cause the hurricane to turn
northward during the next 6-12 h or so at a continued slow forward
speed.  After 18 h or so, Melissa should turn northeastward with
a slight increase in forward speed as the mid-latitude westerly
flow becomes the dominant steering mechanism. A continued
northeastward motion with a significant increase in forward speed
is expected from 36 h through the end of the forecast period. On
the forecast track, the center of Melissa will be near or over
Jamaica late tonight and on Tuesday, cross eastern Cuba Tuesday
night or early Wednesday, and then move near or over the Bahamas
and the Turks and Caicos on Wednesday.  After that, the cyclone
could reach the vicinity of Bermuda on Thursday night. The track
guidance envelope has nudged a little to the west and north since
the previous advisory, and the new forecast track is also a little
to the west and north of the previous track.

Some fluctuations in intensity are likely during the next 12-24 h
due to the possibility that Melissa will start an eyewall
replacement cycle (ERC). However, the previous aircraft data showed
no evidence that an ERC had started, and it is possible that the
upcoming aircraft may find Melissa is stronger than 150 kt.

Regardless, even with an ERC it is unlikely that Melissa will
weaken significantly before reaching Jamaica, and there is no
practical difference in Melissa making landfall at category 4 or 5
intensity, since both categories produce catastrophic wind damage.
After reaching Jamaica, a combination of land interaction and
increasing southwesterly shear should cause weakening, although
Melissa is still forecast to be a major hurricane when it reaches
Cuba.  Once over the Atlantic, stronger shear should cause more
substantial weakening, and Melissa is expected to become
extratropical by the end of the forecast period as it interacts
with a large baroclinic low over the north Atlantic.  The new
intensity forecast has minor adjustments from the previous and
again follows the trend of the intensity consensus.


Key Messages:

1. Jamaica:  Remain in your safe shelter and do not venture
outside. Catastrophic, life-threatening flash flooding and numerous
landslides are expected through Tuesday. The eyewall’s destructive
winds may cause total structural failure, particularly in higher
elevations, leading to widespread infrastructural damage, prolonged
power and communication outages, and isolated communities. Along the
southern coast, life-threatening storm surge and damaging waves are
anticipated through Tuesday.

2. Haiti and the Dominican Republic:  Catastrophic and
life-threatening flash flooding and landslides are expected across
southwestern Haiti and southern portions of the Dominican Republic
through midweek.  In Haiti, extensive infrastructural damage and
isolation of communities is likely. Tropical storm conditions are
expected late Tuesday and Wednesday.

3. Eastern Cuba:  Heavy rainfall with life-threatening and
potentially catastrophic flash flooding and landslides is expected
to begin tonight.  Life-threatening storm surge and damaging winds
are expected late Tuesday and Tuesday night.   Preparations should
be rushed to completion.

4. Southeast and Central Bahamas and the Turks and Caicos: Hurricane
conditions, life-threatening storm surge, and heavy rainfall are
expected across portions of the southeast and central Bahamas on
Wednesday. Residents should follow advice given by local officials
and be sure to have preparations complete by Tuesday night.  
Tropical storm conditions, heavy rains, and a significant storm
surge is expected in the Turks and Caicos Islands on Wednesday.


FORECAST POSITIONS AND MAX WINDS

INIT  27/2100Z 16.7N  78.4W  150 KT 175 MPH
12H  28/0600Z 17.1N  78.3W  145 KT 165 MPH
24H  28/1800Z 18.2N  77.8W  125 KT 145 MPH...INLAND
36H  29/0600Z 19.8N  76.6W  110 KT 125 MPH...OVER WATER
48H  29/1800Z 21.8N  75.0W   95 KT 110 MPH
60H  30/0600Z 24.3N  72.9W   85 KT 100 MPH
72H  30/1800Z 27.8N  69.9W   80 KT  90 MPH
96H  31/1800Z 37.1N  60.0W   70 KT  80 MPH
120H  01/1800Z 44.7N  45.4W   60 KT  70 MPH...POST-TROP/EXTRATROP

$$
Forecaster Beven


271733_5day_cone_with_line_and_wind.png
recon_AF308-2013A-MELISSA.png
13L_89H_20251027145456.jpeg
13L_AWV.png
20253001340_GOES19-ABI-FL-GEOCOLOR-AL132025-1000x1000.jpg
goes19_13L_rainbow_202510271745.png
goes19_g19meso1_ir_20251027180428.png
goes19_rbtop_13L.gif

回復

使用道具 舉報

簽到天數: 582 天

[LV.9]以壇為家II

蜜露|2025-10-28 11:54 | 顯示全部樓層
本帖最後由 蜜露 於 2025-10-28 11:56 編輯




可以說是北大西洋版本的完美風暴.   

如果只看型態  真的以為已經是全球風王了

如果是美軍JTWC  這種真的會給170kts

13L_OTT.png

CDG+WMG  

13L_WV.png


20251027_184444_AL132025_amsr2_gcom-w1_89H_139kts_100p00_res1p0-cr100-artb89hA-b.jpg

底層 接近-180


高層、底層都是完美風暴的表現

就除了移速偏慢、中層風切..看不出哪裡有問題
因為實測卻只有150Kts  與 2015 Patricia颶風 相差很遠

2架飛機分別是 NOAA2、AF308  
也不太可能有問題才對

MELISSA_AF301_2213A_full.png

recon_AF301-2213A-MELISSA_timeseries.png

FL 最高 163kts   打折約150kts

點評

剛才最新AF301 穿過中心 FL 165Kts 新高 165*0.9 = 148.5 還是150kt 不過氣壓有是899hPa  發表於 2025-10-28 11:59
回復

使用道具 舉報

簽到天數: 582 天

[LV.9]以壇為家II

蜜露|2025-10-28 23:05 | 顯示全部樓層
本帖最後由 蜜露 於 2025-10-28 23:07 編輯




美軍最新實測出爐  2025全球風王  

北大西洋 歷史第三強

892hPa   160Kts

13L_CA (2).png

13L_OTT (6).png

82ABD13A3FFBFE2C8F906085756284A3.png

MELISSA_AF303_2413A_full (2).png


牙買加真的要小心了 ...  這次這個梅麗莎是北大西洋 1978年衛星時代以來 史上第三強的颶風

也是衛星型態最完整的北大西洋颶風  全知全能  完美風暴

CIMSS ADT
T Raw 8.6 CI  8.5  好像該版本 9.1  全球分析最高的一個熱帶氣旋  

13LP (6).gif

( 9.0版本 2021舒力基 8.1 更早以前的版本 2013海燕 曾經也突破8.0 早期颱風版本最高只有8.0  海燕突破後 上升至9.0)

不僅如此

梅麗莎突破了水汽風王  超越2020天鵝  

續航力  T 7.5 以上  35小時以上  也是衛星時代 第二高  (1985 Hina 氣旋  45小時T 7.5 南太平洋達成)
史上續航力第二長的頂級熱帶氣旋

   




回復

使用道具 舉報

簽到天數: 3356 天

[LV.Master]伴壇終老

king111807|2025-10-29 02:24 | 顯示全部樓層
NHC評價160節,892hpa

000
WTNT43 KNHC 281452
TCDAT3

Hurricane Melissa Discussion Number  29
NWS National Hurricane Center Miami FL       AL132025
1100 AM EDT Tue Oct 28 2025

Reports from Air Force Reserve and NOAA Hurricane Hunter aircraft
show that Melissa has strengthened since the last advisory.  The
central pressure inside the 15 n mi wide eye has fallen to near
892 mb, and the NOAA aircraft reported flight-level winds of 172 kt
at 700 mb.  Based on these data, the the initial intensity has been
increased to 160 kt.


The initial motion is now 025/8. This general motion should
continue with some increase in forward speed, with the center
making landfall in Jamaica in a couple of hours and reaching
eastern Cuba late tonight or early Wednesday. After that, a faster
motion toward the northeast should bring the center through the
southeastern and central Bahamas on Wednesday and near Bermuda
Thursday or Thursday night. After passing Bermuda the cyclone
should continue quickly northeastward into the north Atlantic. The
new forecast track is similar to the previous track through 36 h
and a little north of the previous track after that time.

Melissa should weaken over Jamaica as the inner core gets disrupted
by the mountainous terrain.  However, the cyclone should maintain
major hurricane status until the center reaches eastern Cuba.  
After leaving Cuba, Melissa should encounter increasing
southwesterly vertical shear that should cause steady weakening,
although the cyclone should still be at hurricane strength when it
passes near Bermuda. Based on global model guidance, Melissa is
forecast to become a strong extratropical cyclone over the North
Atlantic by 96 h.


Key Messages:

1. Jamaica: THIS IS AN EXTREMELY DANGEROUS AND LIFE-THREATENING
SITUATION! TAKE COVER NOW! Catastrophic winds with total
structural failure are liklely near the path of Melissa’s center.
Catstrophic flash flooding, landslides, and destructive winds are
expected across the remainder of the island causing widespread
infrastructure damage, power and communication outages, and isolated
communities.  Along the southern coast, life-threatening storm surge
and damaging waves are expected through the day.

2. Haiti and the Dominican Republic: Catastrophic flash flooding
and landslides are expected across southwestern Haiti and southern
portions of the Dominican Republic through midweek. In Haiti,
extensive damage and isolation of communities is likely. Tropical
storm conditions are expected later today and Wednesday.

3. Eastern Cuba: Heavy rainfall, flash flooding and landslides are
expected soon. Life-threatening storm surge and damaging winds are
likely to begin later today. Complete all preparations now.

4. Southeastern and Central Bahamas and the Turks and Caicos:
Hurricane conditions, life-threatening storm surge, and heavy
rainfall are expected across portions of the southeastern and
central Bahamas on Wednesday. Complete preparations by tonight and
follow local official guidance. Tropical storm conditions, heavy
rains, and significant storm surge are expected in the Turks and
Caicos Islands on Wednesday.


FORECAST POSITIONS AND MAX WINDS

INIT  28/1500Z 17.9N  77.9W  160 KT 185 MPH
12H  29/0000Z 19.0N  77.1W  130 KT 150 MPH
24H  29/1200Z 21.0N  75.7W  100 KT 115 MPH...INLAND
36H  30/0000Z 23.4N  74.1W   95 KT 110 MPH...OVER WATER
48H  30/1200Z 26.6N  71.5W   90 KT 105 MPH
60H  31/0000Z 30.8N  67.5W   85 KT 100 MPH
72H  31/1200Z 35.9N  61.5W   75 KT  85 MPH
96H  01/1200Z 45.9N  47.1W   60 KT  70 MPH...POST-TROP/EXTRATROP
120H  02/1200Z 52.8N  30.3W   45 KT  50 MPH...POST-TROP/EXTRATROP

$$
Forecaster Beven

13.png
13L_89H_20251028141237.jpeg
13.gif
13.jpg
回復

使用道具 舉報

簽到天數: 3356 天

[LV.Master]伴壇終老

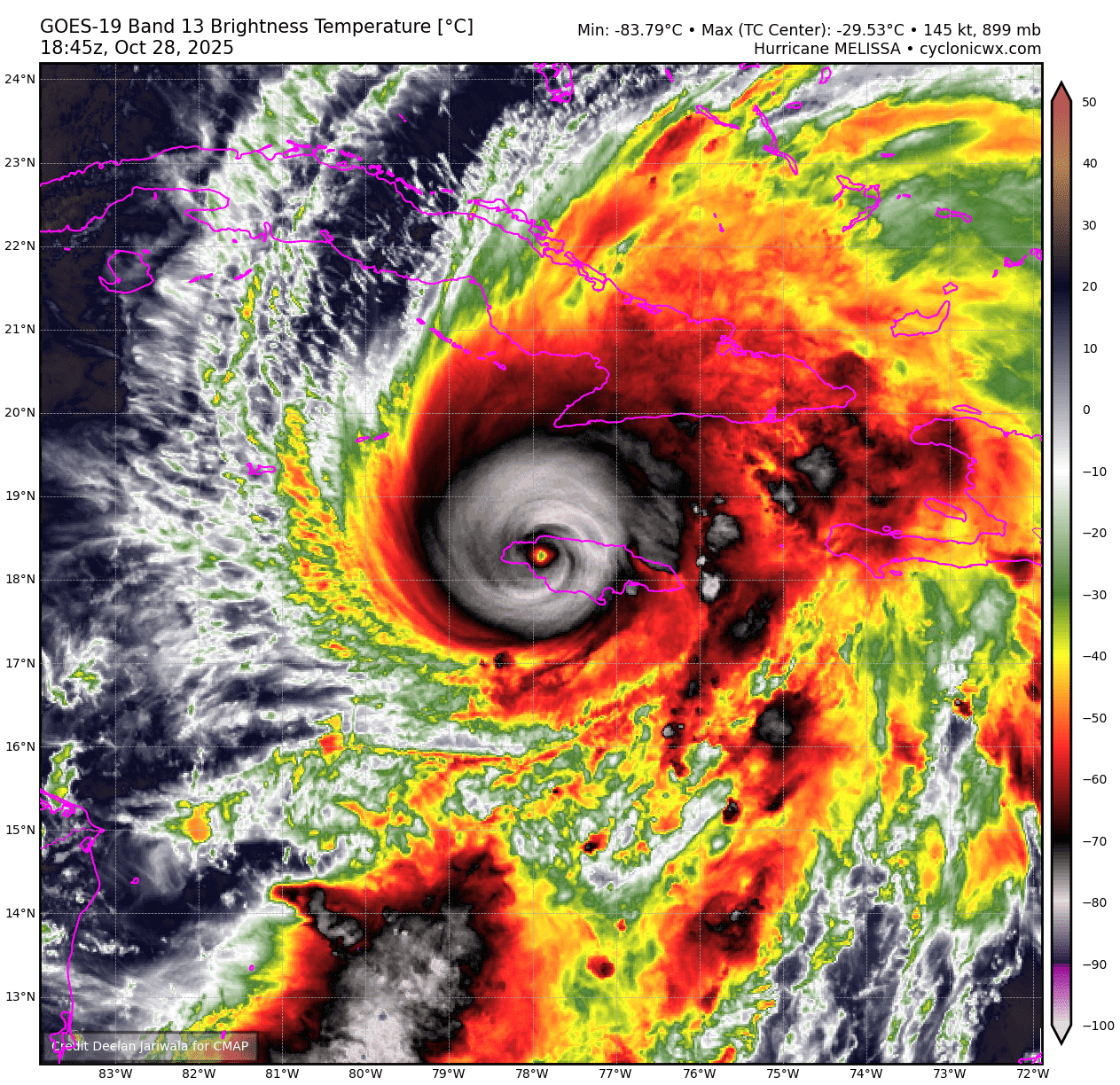
king111807|2025-10-29 03:08 | 顯示全部樓層
登陸牙買加
WTNT63 KNHC 281701
TCUAT3

Hurricane Melissa Tropical Cyclone Update
NWS National Hurricane Center Miami FL       AL132025
100 PM EDT Tue Oct 28 2025

...CATEGORY 5 MELISSA MAKES LANDFALL IN JAMAICA...
...ONE OF THE MOST POWERFUL HURRICANE LANDFALLS ON RECORD IN THE
ATLANTIC BASIN...


Melissa has made landfall in southwestern Jamaica near New Hope with
estimated maximum sustained winds of 185 mph (295 km/h) and an  
estimated minimum central pressure of 892 mb (26.34 inches).

THIS IS AN EXTREMELY DANGEROUS AND LIFE-THREATENING SITUATION! Do
not leave your shelter as the eye passes over, as winds will
quickly, and rapidly increase on the other side of the eye.
Residents should remain in place through the passage of these
life-threatening conditions. To protect yourself from wind, the
best thing you can do is put as many walls as possible between you
and the outside. An interior room without windows, ideally one where
you can also avoid falling trees, is the safest place you can be in
a building. You can cover yourself with a mattress and wear a
helmet for added protection.

The next position update will be provided with the intermediate
advisory at 200 PM EDT (1800 UTC).

SUMMARY OF 100 PM EDT...1700 UTC...INFORMATION
-----------------------------------------------
LOCATION...18.1N 78.0W
ABOUT 25 MI...40 KM SE OF NEGRIL JAMAICA
ABOUT 145 MI...235 KM S OF GUANTANAMO CUBA
MAXIMUM SUSTAINED WINDS...185 MPH...295 KM/H
PRESENT MOVEMENT...NNE OR 25 DEGREES AT 9 MPH...15 KM/H
MINIMUM CENTRAL PRESSURE...892 MB...26.34 INCHES


$$
Forecaster Kelly
281900_5day_cone_with_line_and_wind.png
floater_floater_AL132025_GEOCOLOR_24fr_20251028-1505.gif
goes19_13L_rainbow_202510281845.png
goes19_13L_ir_202510281845.png
goes19_rbtop_13L.gif
回復

使用道具 舉報

簽到天數: 3356 天

[LV.Master]伴壇終老

king111807|2025-10-29 10:21 | 顯示全部樓層
NHC降格C4

000
WTNT43 KNHC 282052
TCDAT3

Hurricane Melissa Discussion Number  30
NWS National Hurricane Center Miami FL       AL132025
500 PM EDT Tue Oct 28 2025

The eye of Melissa made landfall in western Jamaica near 17Z with
maximum sustained winds estimated at 160 kt and a central pressure
near 892 mb. Since that time, the hurricane has been weakening over
the mountains of western Jamaica with the eye disappearing and some
warming of the convective cloud tops. Based on these changes, the
initial intensity has been reduced to a highly uncertain 125 kt.
NOAA and Air Force Reserve Hurricane Hunter aircraft are scheduled
to investigate Melissa this evening to provide better information
on how much it has weakened. It should be noted that while
Melissa's landfall intensity is among the strongest ever recorded
in the Atlantic basin, it will take extensive post-analysis to
determine exactly where it ranks among landfalling Atlantic
hurricanes.


The initial motion is now 025/7. A turn toward the northeast with
an increase in forward speed is expected this evening, and this
should bring the center near or over southeastern Cuba late tonight
or early Wednesday. After that, an even faster motion toward the
northeast should bring the center through the southeastern and
central Bahamas on Wednesday and near Bermuda Thursday or Thursday
night. After passing Bermuda, the cyclone should continue quickly
northeastward into the north Atlantic. The track guidance envelope
has shifted a little to the left (north and west) through 72 h
since the last advisory, and the new forecast track during this
time is also shifted a little to the north and west.

While the center of Melissa is now emerging over water, it will
probably not re-intensify significantly before landfall in Cuba due
to the limited amount of time before landfall and an upper-level
wind environment that is becoming less favorable. Based on this, the
intensity forecast calls for little change in strength before
Melissa reaches Cuba.  After leaving Cuba, Melissa should encounter
increasing southwesterly vertical shear that should cause gradual
weakening, although the cyclone should still be at hurricane
strength when it passes near Bermuda. Based on global model
guidance, Melissa is forecast to become a strong extratropical
cyclone over the North Atlantic by 96 h.


Key Messages:

1. Jamaica: Remain in a safe shelter tonight. Damaging winds will
continue over portions of Jamaica this evening. Catastrophic flash
flooding, and landslides, are expected across the island tonight
with widespread infrastructure damage, power and communication
outages, and isolated communities.

2. Haiti and the Dominican Republic: Catastrophic flash flooding
and landslides are expected across southwestern Haiti and southern
portions of the Dominican Republic during the next day or so. In
Haiti, extensive damage and isolation of communities is likely.
Tropical storm conditions are expected later today and Wednesday.

3. Eastern Cuba: Heavy rainfall, flash flooding and landslides are
expected soon. Life-threatening storm surge and damaging winds are
likely to begin later today. Seek safe shelter.

4. Southeastern and Central Bahamas and the Turks and Caicos:
Hurricane conditions, life-threatening storm surge, and heavy
rainfall are expected across portions of the southeastern and
central Bahamas on Wednesday. Complete preparations by tonight and
follow local official guidance. Tropical storm conditions, heavy
rains, and significant storm surge are expected in the Turks and
Caicos Islands on Wednesday.

5. Bermuda: Hurricane conditions and heavy rainfall are possible in
Bermuda beginning Thursday or Thursday night where a Hurricane
Watch is now in effect.


FORECAST POSITIONS AND MAX WINDS

INIT  28/2100Z 18.5N  77.7W  125 KT 145 MPH
12H  29/0600Z 19.9N  76.7W  120 KT 140 MPH
24H  29/1800Z 22.2N  75.3W  100 KT 115 MPH
36H  30/0600Z 25.0N  73.2W   95 KT 110 MPH
48H  30/1800Z 28.9N  70.0W   90 KT 105 MPH
60H  31/0600Z 33.8N  64.8W   85 KT 100 MPH
72H  31/1800Z 39.0N  58.3W   70 KT  80 MPH
96H  01/1800Z 48.4N  42.2W   50 KT  60 MPH...POST-TROP/EXTRATROP
120H  02/1800Z 54.8N  25.1W   40 KT  45 MPH...POST-TROP/EXTRATROP

$$
Forecaster Beven
13L.png
fnv3_13L_ensemble_2025102818.png
MELISSA_NOAA2_2513A_full.png
回復

使用道具 舉報

簽到天數: 582 天

[LV.9]以壇為家II

蜜露|2025-10-29 15:50 | 顯示全部樓層



melissa-eye-oct27.jpg




颶風獵人的飛機 AF系列或NOAA系列 其中一架飛機經過了 Melissa 風眼影片





回復

使用道具 舉報

快速回覆
您需要登錄後才可以回帖 登錄 | 立即加入

本版積分規則

本平台僅供學術討論之用,預報應以氣象局為準

威普網站虛擬主機贊助公司

臺灣第一個天氣類型社群平台 即時天氣資訊、精準颱風動態

線上客服
FB傳送訊息
廣告行銷
精準行銷 物超所值
官方粉專
發佈 快速回復 返回頂部 返回列表