開啟輔助訪問
 找回密碼
 立即加入

13L.Melissa NHC:160KT 年度風王 先後登陸牙買加 古巴 重創牙買加

簽到天數: 3356 天

[LV.Master]伴壇終老

king111807|2025-10-29 17:11 | 顯示全部樓層
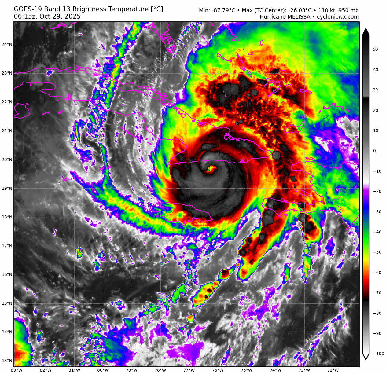
NHC降格C3
000
WTNT43 KNHC 290852
TCDAT3

Hurricane Melissa Discussion Number  32
NWS National Hurricane Center Miami FL       AL132025
500 AM EDT Wed Oct 29 2025

Radar data and satellite images indicate that Melissa made landfall
in the province of Santiago de Cuba to the east of Chivirico around
0710 UTC this morning. The estimated landfall intensity of 105 kt
was based on a blend of the earlier Air Force Hurricane Hunter wind
and pressure data with the available satellite intensity estimates.
The hurricane is now centered inland over eastern Cuba, where
damaging winds and heavy rainfall continue across the region. Outer
rainbands are also noted across Haiti and portions of the Bahamas
and Turks and Caicos. Land interaction with the rugged terrain of
eastern Cuba has likely caused some weakening over the past couple
of hours, so the initial intensity is lowered to 100 kt.

The hurricane is moving to the northeast at 10 kt within the flow
between an upper trough over the southeastern U.S. and a subtropical
ridge over the central Atlantic. After crossing eastern Cuba this
morning, Melissa is expected to continue accelerating northeastward
during the next several days. This motion will bring the core of the
hurricane over portions of the southeastern and central Bahamas
later today. Then, the track models are tightly clustered on the
center of Melissa passing to the west of Bermuda late Thursday and
Thursday night. With good overall model agreement, no notable
changes were made to this portion of the NHC track forecast. There
was a leftward shift in much of the guidance at 96-120 h, and the
official track forecast was adjusted to reflect these trends.

Additional weakening is expected while the hurricane moves across
eastern Cuba this morning. Melissa is expected to remain a strong
hurricane while it crosses portions of the Bahamas later today. Over
the next few days, increasing vertical wind shear, cooler waters,
and a drier surrounding mid-level environment will likely induce
further weakening. However, Melissa is forecast to still be a
hurricane when it makes it closest approach to Bermuda later this
week. Then, the global model fields and model-simulated satellite
imagery show Melissa quickly losing tropical characteristics and
becoming an extratropical cyclone by Friday night or early Saturday.
No major changes were made to the updated NHC intensity prediction,
which remains near the middle of the intensity guidance envelope.


Key Messages:

1. Jamaica: You may need to remain sheltered after the storm due to
downed power lines and flooded areas. Ensure generators are
properly ventilated and placed outside at least 20 feet away from
dwellings and garages to avoid carbon monoxide poisoning. During
clean up, be careful when using chainsaws and power tools. Drink
plenty of water to avoid heat exhaustion.

2. Haiti and the Dominican Republic: Catastrophic flash flooding and
landslides are expected across portions of Haiti and the Dominican
Republic through today. In Haiti, extensive damage and isolation of
communities is likely. Tropical storm conditions are expected
through this morning.

3. Eastern Cuba: Life-threatening storm surge, flash flooding and
landslides, and damaging hurricane winds are ongoing this morning.
Remain in a safe shelter.

4. Bahamas and the Turks and Caicos: Hurricane conditions,
life-threatening storm surge, and heavy rainfall are expected across
portions of the southeastern and central Bahamas today. Find a safe
shelter and follow local official guidance. Tropical storm
conditions, heavy rains, and significant storm surge are expected in
the Turks and Caicos Islands today.

5. Bermuda: Hurricane conditions and heavy rainfall are possible in
Bermuda beginning Thursday or Thursday night.


FORECAST POSITIONS AND MAX WINDS

INIT  29/0900Z 20.3N  76.1W  100 KT 115 MPH
12H  29/1800Z 21.9N  75.1W   95 KT 110 MPH
24H  30/0600Z 25.0N  73.0W   90 KT 105 MPH
36H  30/1800Z 29.0N  69.9W   85 KT 100 MPH
48H  31/0600Z 34.2N  64.8W   80 KT  90 MPH
60H  31/1800Z 40.3N  58.1W   70 KT  80 MPH
72H  01/0600Z 46.3N  51.0W   60 KT  70 MPH...POST-TROP/EXTRATROP
96H  02/0600Z 53.5N  36.0W   50 KT  60 MPH...POST-TROP/EXTRATROP
120H  03/0600Z 58.0N  20.0W   40 KT  45 MPH...POST-TROP/EXTRATROP

$$
Forecaster Reinhart

290851_5day_cone_with_line_and_wind.png
goes19_rbtop_13L.gif
回復

使用道具 舉報

簽到天數: 241 天

[LV.8]以壇為家I

krichard2011|2025-10-29 23:10 | 顯示全部樓層





梅莉莎颶風直撲牙買加,
NHC給定強度達到 160 KT 892 hPa,
為大西洋歷史第三強的颶風,
並列1935年勞動節颶風。

颶風登陸牙買加前出現近岸增強,
GOES-19搭載的對地靜止閃電測繪儀(GLM),
觀測到眼牆出現密集閃電,
梅莉莎登陸前眼牆閃電幾乎成環。


回復

使用道具 舉報

簽到天數: 3356 天

[LV.Master]伴壇終老

king111807|2025-10-30 00:21 | 顯示全部樓層
NHC降格C2
000
WTNT43 KNHC 291458
TCDAT3

Hurricane Melissa Discussion Number  33
NWS National Hurricane Center Miami FL       AL132025
1100 AM EDT Wed Oct 29 2025

Melissa is moving back offshore, now in the Southwestern Atlantic
Ocean. The NOAA hurricane hunter aircraft flew around Cuba and more
recently was able to make a fix of Melissa just offshore. This
matches the latest view from the GOES-19 mesoscale sector and radar
out of Camaguey, Cuba. However, the smaller core that Melissa had
stubbornly maintained over the past few days has been destroyed by
the higher terrain of Cuba, and a larger core structure is
developing. This has led to a significant expansion of the 50-kt
wind radii on the eastern side of the hurricane. Land interaction
also appears to have lead to additional weakening of the the maximum
sustained winds that are now estimated to be around 85 kt, with the
pressure up to 974 mb based on the first NOAA-P3 aircraft fix. This
may still be a little generous given the aircraft wind data thus
far. An Air Force Reserve reconnaissance mission will also be
sampling Melissa later today.

The hurricane is continuing to slowly accelerate, now estimated to
be moving to the northeast at 030/12 kt. Melissa is expected to
continue accelerating northeastward during the next several days as
the hurricane is picked up by a very large an amplified upper-level
trough currently digging into the southeastern United States. This
motion will bring the core of the hurricane over portions of the
southeastern and central Bahamas over the next several hours. After
today, the track models remain tightly clustered on the center of
Melissa passing just to the northwest of Bermuda late Thursday and
Thursday night. The center of the hurricane is a little bit further
to the west emerging off Cuba, and the overall track guidance has
nudged a little bit further west this cycle, and the NHC track
forecast was also nudged in that direction, continuing to blend the
reliable consensus aids with the Google DeepMind ensemble mean
(GDMI).

Now that Melissa is back offshore, it has a short-term opportunity
for the hurricane to re-intensify a little as long as the larger
core that has developed is able to reorganize. Shear does start to
increase over the next 24-36 h, but the shear vector is also in the
same direction as the forward motion of the storm, which could
still allow some core reorganization of the convection while the
hurricane remains over warm 27-28 C sea-surface temperatures. Thus,
the short-term NHC forecast shows a little bit of intensification
over the next 12-24 h before weakening begins by 36 h.
Extratropical transition is expected to be well underway at or just
after Melissa passes by Bermuda, with the global model fields and
model-simulated satellite imagery show Melissa quickly losing
tropical characteristics and becoming an extratropical cyclone by 60
h. However, Melissa will still likely be a formidable extratropical
cyclone as it moves up into the Canadian Maritimes by this weekend
into early next week. The NHC intensity forecast is in good
agreement with the HAFS model guidance and HFIP Corrected Consensus
approach (HCCA).

Key Messages:

1. Eastern Cuba: Life-threatening storm surge, flash flooding and
landslides, and damaging winds are ongoing through this afternoon.
Remain in a safe shelter.

2. Bahamas and the Turks and Caicos: Hurricane conditions,
life-threatening storm surge, and heavy rainfall are expected across
portions of the southeastern and central Bahamas today. Find a safe
shelter and follow local official guidance. Tropical storm
conditions, heavy rains, and significant storm surge are expected in
the Turks and Caicos Islands today.

3. Haiti and the Dominican Republic: Catastrophic flash flooding and
landslides are expected across portions of Haiti and the Dominican
Republic through today. In Haiti, extensive damage and isolation of
communities is likely. Tropical storm conditions are expected
through this afternoon.

4. Bermuda: Hurricane conditions and heavy rainfall are expected in
Bermuda beginning late Thursday and continuing through Thursday
night.

5. Post-storm safety in impacted areas:  Follow advice of local
officials as you may need to remain sheltered after the storm due to
downed power lines and flooded areas.  Ensure generators are
properly ventilated and placed outside at least 20 feet away from
dwellings and garages to avoid carbon monoxide poisoning. During
clean up, be careful when using chainsaws and power tools. Drink
plenty of water to avoid heat exhaustion.


FORECAST POSITIONS AND MAX WINDS

INIT  29/1500Z 21.4N  75.6W   85 KT 100 MPH
12H  30/0000Z 23.4N  74.3W   90 KT 105 MPH
24H  30/1200Z 26.9N  71.9W   90 KT 105 MPH
36H  31/0000Z 31.6N  67.7W   85 KT 100 MPH
48H  31/1200Z 37.2N  61.8W   80 KT  90 MPH
60H  01/0000Z 43.3N  55.2W   65 KT  75 MPH...POST-TROP/EXTRATROP
72H  01/1200Z 49.0N  48.4W   55 KT  65 MPH...POST-TROP/EXTRATROP
96H  02/1200Z 55.0N  36.0W   50 KT  60 MPH...POST-TROP/EXTRATROP
120H  03/1200Z 58.8N  18.9W   45 KT  50 MPH...POST-TROP/EXTRATROP

$$
Forecaster Papin
291459_5day_cone_with_line_and_wind.png
goes19_rbtop_13L.gif
回復

使用道具 舉報

簽到天數: 582 天

[LV.9]以壇為家II

蜜露|2025-10-30 16:27 | 顯示全部樓層
本帖最後由 蜜露 於 2025-10-31 22:11 編輯

梅莉莎颶風 Cat.5  160Kts 的強度登陸了牙買加

這可能也是1935勞動節颶風登陸美國佛州後 北大西洋有史以來登陸威力最強的颶風之一

90年來最強登陸的北大西洋的颶風





風災後空拍的災情  夷為平地 ...  可能是2013年海燕颱風、2020天鵝颱風在菲律賓後風毀最大的一場風災

160Kts登陸  差不多只剩鋼筋混擬土 椰子樹主幹還在 其他夷為平地
回復

使用道具 舉報

簽到天數: 3356 天

[LV.Master]伴壇終老

king111807|2025-10-31 19:03 | 顯示全部樓層
NHC降格C1

000
WTNT43 KNHC 310847
TCDAT3

Hurricane Melissa Discussion Number  40
NWS National Hurricane Center Miami FL       AL132025
500 AM AST Fri Oct 31 2025

Recent satellite images show Melissa is quickly losing tropical
characteristics. The estimated low-level center is displaced well to
the west of the weakening convection associated with the system.
Decreasing satellite intensity estimates and the latest global model
wind fields support lowering the intensity to 80 kt this morning.
Earlier ASCAT data showed an expanding wind field in the southern
semicircle of Melissa, with 50-kt winds that extended up to 140 n mi
from the center in the southeastern quadrant. Large swells from
Melissa are spreading over much of the western Atlantic, resulting
in hazardous marine conditions in this region.

Melissa remains in a highly-sheared environment and will move over
rapidly cooling SSTs while completing extratropical transition
today. Based on current satellite trends and simulated satellite
imagery from the GFS and ECMWF, the updated NHC forecast now shows
Melissa becoming a hurricane-force extratropical cyclone in 12 h,
though this could occur as soon as later this morning. Gradual
weakening is forecast over the next few days, but Melissa will
remain a large and powerful extratropical cyclone as it moves over
the North Atlantic through early next week.

Melissa is racing northeastward (040/36 kt) away from Bermuda and is
expected to continue this general motion for the next day or two
within the flow ahead of an upper-level trough. The tightly
clustered track guidance agrees that the center of post-tropical
Melissa will pass near, but to the south of, the Avalon Peninsula of
Newfoundland late tonight, bringing the potential for some gusty
winds and heavy rain. Later this weekend, Melissa is forecast to
turn east-northeastward while interacting with a higher-latitude,
upper-level low over the North Atlantic. The latest NHC track
prediction remains very similar to the previous forecast, generally
following a blend of the HCCA and GDMI aids.

Key Messages:

1. Bermuda: Gusty winds over Bermuda are expected to gradually
subside this morning.

2. Post-storm safety:  Follow advice of local officials and avoid
areas of downed power lines and flooding. The flooding across Cuba,
Jamaica, and Hispaniola could persist for another day or two. Ensure
generators are properly ventilated and placed outside at least 20
feet away from dwellings and garages to avoid carbon monoxide
poisoning. During clean up, be careful when using chainsaws and
power tools. Drink plenty of water to avoid heat exhaustion.


FORECAST POSITIONS AND MAX WINDS

INIT  31/0900Z 35.9N  64.0W   80 KT  90 MPH
12H  31/1800Z 40.4N  58.9W   70 KT  80 MPH...POST-TROP/EXTRATROP
24H  01/0600Z 46.4N  51.8W   65 KT  75 MPH...POST-TROP/EXTRATROP
36H  01/1800Z 51.3N  45.2W   60 KT  70 MPH...POST-TROP/EXTRATROP
48H  02/0600Z 54.1N  39.2W   55 KT  65 MPH...POST-TROP/EXTRATROP
60H  02/1800Z 55.6N  32.9W   50 KT  60 MPH...POST-TROP/EXTRATROP
72H  03/0600Z 56.8N  26.7W   45 KT  50 MPH...POST-TROP/EXTRATROP
96H  04/0600Z 60.0N  17.0W   40 KT  45 MPH...POST-TROP/EXTRATROP
120H  05/0600Z...DISSIPATED

$$
Forecaster Reinhart
310910_5day_cone_with_line_and_wind.png
rbtop-animated.gif
回復

使用道具 舉報

簽到天數: 3356 天

[LV.Master]伴壇終老

king111807|2025-11-1 16:04 | 顯示全部樓層
NHC判定轉化後熱帶氣旋

ZCZC MIATCDAT3 ALL
TTAA00 KNHC DDHHMM

Post-Tropical Cyclone Melissa Discussion Number  41
NWS National Hurricane Center Miami FL       AL132025
1100 AM AST Fri Oct 31 2025

Melissa no longer possesses organized convection, and is now merging
with a warm front extending eastward and a cold front extending
toward the southwest.  Therefore, Melissa is now a post-tropical
cyclone.  Melissa still has hurricane-force winds, especially in
the southeastern semicircle, as shown in Thursday evening ASCAT data
and also shown in the latest global model fields for the current
time of 15Z.  The initial intensity is lowered slightly to 75 kt,
mainly based on forecast continuity.  Large swells from Melissa are
spreading over much of the western Atlantic, resulting in hazardous
marine conditions in this region.

The post-tropical cyclone is racing northeastward, or 40 degrees at
42 kt.  This motion should continue into Saturday within the flow
ahead of an upper-level trough.  Track guidance is in excellent
agreement that the center of post-tropical Melissa will pass near,
but to the southeast of, the Avalon Peninsula of Newfoundland late
tonight, bringing the potential for some gusty winds and heavy rain.
Later this weekend, Melissa is forecast to turn east-northeastward
while interacting with a higher-latitude, upper-level low over the
North Atlantic.  Very little change has been made to the NHC track
forecast, which lies very close to the average of the GFS and ECMWF
deterministic models (GFEX).

Global models indicate that Melissa will continue to be a large and
strong extratropical cyclone for the next couple of days as it
traverses the North Atlantic.  Only gradual weakening is expected
through the weekend, with the system forecast to have
hurricane-force winds for another 24 h and still be a storm-force
cyclone in 60 hours.  The NHC intensity forecast is at the high end
of the guidance suite through 60 hours.  By early next week, global
models show the large system weakening further as it begins to join
up with a large and elongated area of low pressure over the far
northeastern Atlantic, and the system should be absorbed and
dissipated just beyond the 96-hour point.


Key Messages:

1. Post-storm safety:  Follow advice of local officials and avoid
areas of downed power lines and flooding. Ensure generators are
properly ventilated and placed outside at least 20 feet away from
dwellings and garages to avoid carbon monoxide poisoning. During
clean up, be careful when using chainsaws and power tools. Drink
plenty of water to avoid heat exhaustion.


FORECAST POSITIONS AND MAX WINDS

INIT  31/1500Z 39.0N  60.5W   75 KT  85 MPH...POST-TROP/EXTRATROP
12H  01/0000Z 43.5N  55.2W   70 KT  80 MPH...POST-TROP/EXTRATROP
24H  01/1200Z 49.4N  48.0W   65 KT  75 MPH...POST-TROP/EXTRATROP
36H  02/0000Z 53.2N  41.8W   60 KT  70 MPH...POST-TROP/EXTRATROP
48H  02/1200Z 55.0N  35.8W   55 KT  65 MPH...POST-TROP/EXTRATROP
60H  03/0000Z 56.2N  29.7W   50 KT  60 MPH...POST-TROP/EXTRATROP
72H  03/1200Z 57.5N  24.4W   40 KT  45 MPH...POST-TROP/EXTRATROP
96H  04/1200Z 60.5N  16.5W   35 KT  40 MPH...POST-TROP/EXTRATROP
120H  05/1200Z...DISSIPATED

$$
Forecaster Hagen
13L.png
rb-animated (1).gif
回復

使用道具 舉報

簽到天數: 582 天

[LV.9]以壇為家II

蜜露|2025-11-2 00:00 | 顯示全部樓層
本帖最後由 蜜露 於 2025-11-16 10:32 編輯

251030-hurricane-melissa-3-rs-f6e05c.jpg

20251031_1761940683-795.jpg

571399572_1397824815247554_3999816536317365484_n.jpg

574574416_1398110368552332_7618564463342196024_n.jpg

melissa-6-ap-gmh-251030_1761848677775_hpMain.jpg

G4gENDCWIAAbrxA.jpg

c94b4f18-4050-452a-a8c3-164cb81cbc44_8fe74ebf.jpg

melissa-jamaica-damage-07-gty-jef-251030_1761830779411_hpMain_16x9.jpg

NPVIFFLSNVDEDKJOBTGEZYC4NM.jpg

JAMAICA_HURRICANE_MELISSA_VMS.jpg

572018553_1397824845247551_7399036763720107295_n.jpg

575116610_1397824835247552_1810875540583002145_n.jpg

attachment-gettyimages-2160642956.jpg


573836440_17926665246116833_6198264538884192748_n.jpg


目前傷亡

牙買加  31人死亡  ?人失蹤
海地     30人死亡  20人失蹤
多明尼加 4人死亡 1人失蹤

牙買加全國房屋 80%毀壞   全國通訊、電力中斷.

GDP 可能全國損失1年 死傷還會再攀升.










回復

使用道具 舉報

簽到天數: 582 天

[LV.9]以壇為家II

蜜露|2025-11-2 20:21 | 顯示全部樓層
本帖最後由 蜜露 於 2025-11-3 15:03 編輯

13L_TRUECOLOR_20251028143020.png

13L_CA_20251028143027.png

13L_AWV_20251028143020.png



北部 蒙特哥貝 出海的風雨.... 牙買加沒有高山

1個是Youtube 另外2個是Bilibili


iCyclone  Melissa颶風影片 1

Melissa 颶風 準備登陸影片


13L_CA_20251028023124.png

這張是型態巔峰  但是實測確實非巔峰




回復

使用道具 舉報

快速回覆
您需要登錄後才可以回帖 登錄 | 立即加入

本版積分規則

本平台僅供學術討論之用,預報應以氣象局為準

威普網站虛擬主機贊助公司

臺灣第一個天氣類型社群平台 即時天氣資訊、精準颱風動態

線上客服
FB傳送訊息
廣告行銷
精準行銷 物超所值
官方粉專
發佈 快速回復 返回頂部 返回列表