開啟輔助訪問
 找回密碼
 立即加入

1408 浣熊 橫掃日本 轉化溫氣

簽到天數: 241 天

[LV.8]以壇為家I

krichard2011|2014-7-8 10:10 | 顯示全部樓層
從雷達來看這個颱風的話
這颱風的眼牆其實還挺奇妙的
不是正圓 而且宮古島巧妙躲過眼牆的正面侵襲


回復

使用道具 舉報

簽到天數: 241 天

[LV.8]以壇為家I

krichard2011|2014-7-8 10:17 | 顯示全部樓層
很顯然的追風獵人選錯地方了
宮古島只吹出了 35.8 m/s
反觀那霸已經吹出 46.9 m/s 的最大陣風了
在晚一點風速應該會更強有一些地方也破了當地測站歷史當月最大陣風
擷取.PNG

點評

看看那歷史觀測最大值,一排都是2012/9/29,杰拉華真厲害阿XD  發表於 2014-7-8 11:47
宮古島是在可航半圓啊~稍晚看那霸的實測如何  發表於 2014-7-8 11:25
追風獵人本來是去久米島的,如果沒有轉地點,風速應該也十分可觀!  發表於 2014-7-8 11:10
回復

使用道具 舉報

簽到天數: 582 天

[LV.9]以壇為家II

J18|2014-7-8 10:25 | 顯示全部樓層
JMA大幅調降其強度!
CWB下午2時那報 可能降格為中度颱風!
強度.png
1408-00 (1).png

點評

浣熊過去依舊行北北西,不知會否一直北下去,直吹渤海至韓國呢?另外有數值預報西南風尾自己發展成另一新低壓统嗎?  發表於 2014-7-8 16:01
J18
這些記者十年後發現 好像所有颱風在我印象中都是史上最強!  發表於 2014-7-8 12:06
台灣媒體: 浣熊是7月史上最強颱....我笑了  發表於 2014-7-8 12:02
J18
留言這麼久 要編輯的話要整個都改 算了算了 當作是一個錯誤的示範 以示警惕!  發表於 2014-7-8 11:03
J18
嗯!我這傻子!  發表於 2014-7-8 10:58
你看成9號的囉  發表於 2014-7-8 10:56
大大,那是明日同一時間的預測強度@@我也跟你犯過一樣的錯....  發表於 2014-7-8 10:55
那個是預測強度 現在根據實測也不會調強度  發表於 2014-7-8 10:55
J18
JMA資料似乎不同 一個說50 一個說40  發表於 2014-7-8 10:51
只有小幅度調降而已 還是中颱上限 JMA 預測入夜之後才會有比較大幅度減弱 上面那圖是明天早上的預測資料...  發表於 2014-7-8 10:46
回復

使用道具 舉報

簽到天數: 12 天

[LV.3]偶爾看看II

ktf|2014-7-8 11:32 | 顯示全部樓層
日本多少也有XX看天下的情況(或許全世界都一樣)
這次JMA發特別警報,實際風力有段差距,可能就要被檢討了
不過沖繩風力感受強烈,這方面的質疑可能就會少很多

回復

使用道具 舉報

簽到天數: 687 天

[LV.9]以壇為家II

麻友飯|2014-7-8 11:43 | 顯示全部樓層
經過一夜 ADT又升上5.8了 昨晚眼牆崩潰時就明明是4.2

2014JUL07 183200  4.7  961.3   +0.1   82.2  4.2 4.0 3.0  0.7T/6hr   ON  ON    13.91 -47.26  CRVBND   N/A   N/A    23.88 -126.18  SPRL   MTSAT2 35.0
2014JUL07 190100  4.7  961.3   +0.1   82.2  4.2 4.6 4.6  NO LIMIT   ON  ON    13.36 -51.12  EYE/L   44 IR  N/A    23.99 -126.09  SPRL   MTSAT2 35.1
2014JUL07 193200  4.7  961.3   +0.1   82.2  4.3 4.8 4.8  NO LIMIT   ON  ON    12.25 -53.98  EYE/L   43 IR  21.2   24.00 -126.09  SPRL   MTSAT2 35.1
2014JUL07 200100  4.7  961.2   +0.1   82.2  4.4 4.9 4.9  NO LIMIT   ON  ON    12.36 -55.83  EYE/L   45 IR  21.2   24.10 -126.10  SPRL   MTSAT2 35.2
2014JUL07 203200  4.7  961.2   +0.0   82.2  4.6 5.2 5.2  NO LIMIT   ON  ON    11.46 -59.41  EYE/L   44 IR  21.2   24.20 -125.98  SPRL   MTSAT2 35.4
2014JUL07 210100  4.8  958.8   -0.0   84.8  4.8 5.4 5.4  NO LIMIT  OFF  ON    11.80 -62.70  EYE/L   43 IR  21.2   24.29 -125.98  SPRL   MTSAT2 35.5
2014JUL07 213200  4.9  956.4   -0.0   87.4  4.9 5.6 5.6  NO LIMIT  OFF  ON    12.13 -65.52  EYE/L   42 IR  21.2   24.39 -125.96  SPRL   MTSAT2 35.6
2014JUL07 220100  5.1  951.3   -0.1   92.4  5.1 5.8 5.8  NO LIMIT  OFF  ON    11.46 -68.28  EYE/L   41 IR  41.2   24.47 -125.94  SPRL   MTSAT2 35.7
2014JUL07 223200  5.3  946.1   -0.1   97.2  5.3 5.8 5.8  NO LIMIT  OFF  ON    12.02 -67.82  EYE/L   39 IR  41.2   24.66 -126.03  SPRL   MTSAT2 35.8
2014JUL07 231400  5.5  940.8   -0.2  102.0  5.5 5.7 5.7  NO LIMIT  OFF  ON    11.80 -67.35  EYE/L   39 IR  24.7   24.88 -125.99  SPRL   MTSAT2 36.0
2014JUL07 233200  5.6  938.0   -0.2  104.6  5.6 5.7 5.7  NO LIMIT  OFF  ON    10.67 -67.08  EYE/L   41 IR  24.7   24.92 -125.98  SPRL   MTSAT2 36.0
2014JUL08 003200  5.7  935.1   -0.3  107.2  5.7 5.7 5.7  NO LIMIT  OFF  ON    11.80 -66.18  EYE/L   39 IR  24.7   25.24 -125.93  SPRL   MTSAT2 36.3
2014JUL08 010100  5.7  935.1   -0.3  107.2  5.7 5.8 5.8  NO LIMIT  OFF  OFF   12.92 -67.07  EYE/L   38 IR  24.7   25.33 -125.88  SPRL   MTSAT2 36.5
2014JUL08 013200  5.7  935.1   -0.3  107.2  5.7 5.9 5.9  NO LIMIT  OFF  OFF   13.69 -67.66  EYE/L   39 IR  24.7   25.42 -125.83  SPRL   MTSAT2 36.6
2014JUL08 020100  5.7  935.0   -0.4  107.2  5.7 5.7 5.7  NO LIMIT  OFF  OFF   13.14 -65.94  EYE/L   36 IR  24.7   25.50 -125.78  COMBO  MTSAT2 36.7
2014JUL08 023200  5.8  932.2   -0.4  109.8  5.8 6.2 6.2  NO LIMIT  OFF  OFF    9.87 -66.79  EYE     34 IR  24.7   25.60 -125.85  COMBO  MTSAT2 36.7
回復

使用道具 舉報

簽到天數: 815 天

[LV.10]以壇為家III

martin191919|2014-7-8 12:06 | 顯示全部樓層
浣熊吹襲沖繩實況
當地風力強勁

https://www.facebook.com/photo.php?v=10152570819716248


點評

如果是高地相信是沒有問題的,不過車內都會濕透了  發表於 2014-7-8 12:16
J18
日本人淡定的把自家車停在空曠的停車場! 美國追風客超瘋狂!  發表於 2014-7-8 12:09
回復

使用道具 舉報

簽到天數: 815 天

[LV.10]以壇為家III

martin191919|2014-7-8 12:26 | 顯示全部樓層
沖繩縣各地天氣實況,部分已經破了7月紀錄

01.png

02.png

03.png

回復

使用道具 舉報

簽到天數: 241 天

[LV.8]以壇為家I

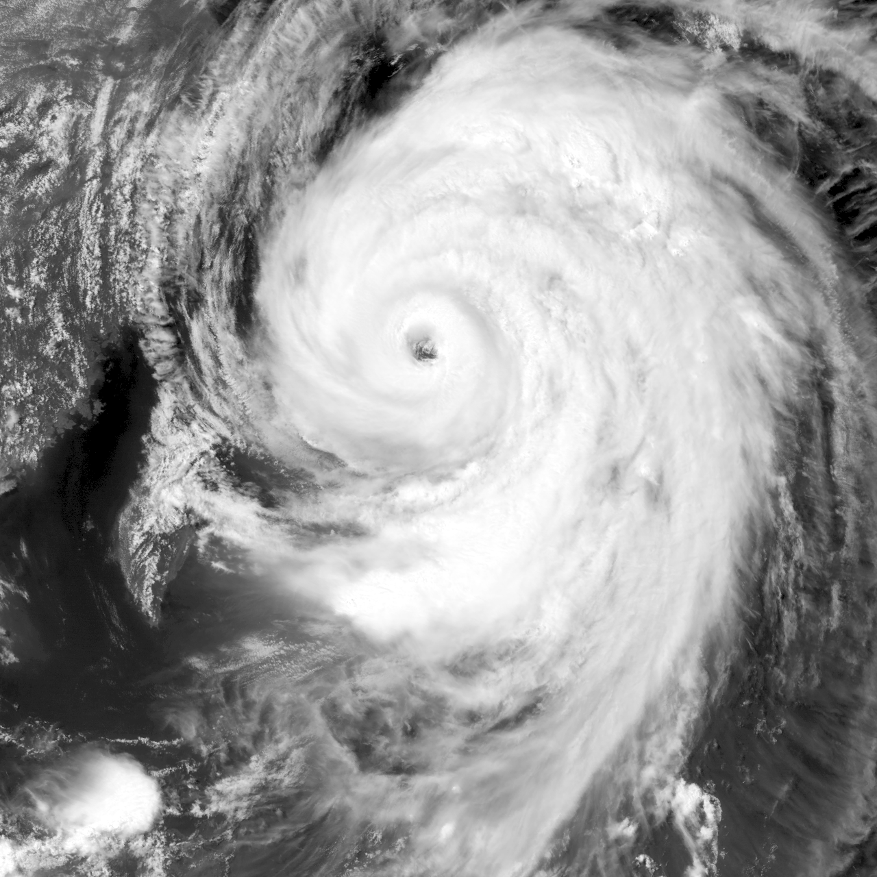
krichard2011|2014-7-8 14:19 | 顯示全部樓層
我認為今天的風眼比前幾天都還要好
今天清澈見底 不過可惜Terra衛星還是切到邊邊
只好等等看稍後Aqua衛星的效果
index (3).jpg
20140708.0514.MTSAT2.vis.08W.NEOGURI.WPAC.png
回復

使用道具 舉報

快速回覆
您需要登錄後才可以回帖 登錄 | 立即加入

本版積分規則

本平台僅供學術討論之用,預報應以氣象局為準

威普網站虛擬主機贊助公司

臺灣第一個天氣類型社群平台 即時天氣資訊、精準颱風動態

線上客服
FB傳送訊息
廣告行銷
精準行銷 物超所值
官方粉專
發佈 快速回復 返回頂部 返回列表